+ Lisa oma töö      

Otsid ehitajat "Ehitusprojektid" valdkonnast?

Parima pakkumise ja teostaja leidmiseks lisa oma töö.

Hange on lõppenud!

Võitjaks osutus kasutaja ID 62360

Korraldaja hinnang tehtud tööle

5.0
16.11.2024
Töökiirus: 12345
Kvaliteet: 12345
Hind: 12345

Tellitud töö sai professionaalselt tehtud, koostöö ja suhtlus oli meeldiv ning kõik sujus. - Kristjan A.

Korteri dokumentatsiooni korrastamine registrites

ID 99893

439 vaatamist

Prindi

  • check Pakkumiste tegemine
    kuni 10.07.2024
  • check Võitja valik kuni
    10.07.2024
  • 3 Töö teostamine
    ja hinnang
Hanke lõpp: K, 10. juuli, 2024
Maakond: Harjumaa
Linn: Tallinn
Tööde lõpp: Kokkuleppel
Ehitusmaterjalid: Töö tegija poolt
Soovin pakkumisi: Summa kogu projektile

Töö sisu

Erinevates registrites on vaja korda saada korteri dokumentatsioon.

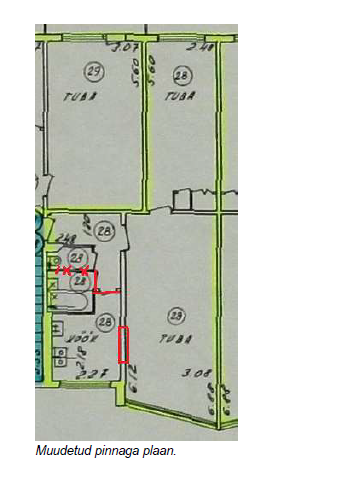
Ekperthinnangu sõnul ruumilahendust muudetud, eemaldatud vahesein ja uks kinni ehitatud. Lisaks tehtud köögi ja elutoa vahelisele seinale avaus. Ruumiplaneeringu muudatuse on teostanud eelmine omanik enne aastat 2008.

Lõpptulem peaks olema selline, et uut hindamisakti tellides on praegu välja toodud puudused likvideeritud.

Palun hinnapakkumist koos ajalise vaatega.

Pildid, video ja failid

Hanke korraldaja: eraisik ID83451

Pakkumised

Pakkumisi kokku: 3

Ettevõte Summa Käibemaks Lisatud Vestlus
Kasutaja ikoon ID62360
Pakkuja profiil Väike nool paremale
550€ Ei ole KMKR Ei ole KMKR 08.07.2024 Vestlus (4)

Pakkumise kirjeldus:

Pakkumine sisaldab:
Korteri rekonstrueerimise projekt eelprojekti staadiumis
Olemasoleva projekti digitaliseerimine
Põhiplaan (koos eriosadega)
Asendiskeem
Seletuskiri, tiitelleht
Ehitusteatise/kasutusteatise või andmete esitamise teatise kooskõlastamine KOV ja registreerimine EHR.

Vajalik tellija poolt:
1. Eskiis
2. Alusprojekt
3. Fotod

Pr ... Rohkem

Kasutaja ikoon ID77562
Pakkuja profiil Väike nool paremale
1 200€ Sisaldab KM Sisaldab KM 09.07.2024 Vestlus (0)

Pakkumise kirjeldus:

Hinnapakkumine sisaldab:

1) Ehitise audit
2) Mõõdistusprojekti
3) Ehitisregistri toiminguid

Juhin tähelepanu, et kui tööd on teostatud enne 2015 aastat siis ehitise audit asendab projekti. Täiendavalt vajalik korteriühistu teavitus/nõusolek.

Vajalike dokumentide koostamine 2 nädala jooksul peale esmast ülevaatust. Ametlik menetluse aeg 1 ... Rohkem

Kasutaja ikoon ID63676
Pakkuja profiil Väike nool paremale
350€ KM lisandub KM lisandub 09.07.2024 Vestlus (0)

Pakkumise kirjeldus:

Korteri mõõdistamist ja ehitusprojekti koostamist vastavalt olukorrale. Samuti ka ehitusteatise esitamist kohalikule omavalitsusele.

Mõõdistamine esimesel võimalusel peale töö kinnitamist.
Projekti koostamine 7 päeva pärast mõõdistamist.
Ehitusteatise esitamine peale projekti kinnitamist.

Küsimused hanke korraldajale

Küsimus: private ID68615   10.07.2024 08:39
Tere

Ava tehtud kandvasse seina, ainult mõõdistusprojekti ei piisa. Hinnapakkumise koostamiseks on vaja teada:
Mis on ava laius? Ava asukoht välisseinast köögi akna poolt?
Sellest sõltub kas on vaja teostada ehitus-tugevdustöid või mitte.
Parimat!

Teavita reeglite rikkumisest

Korraldaja vastus:
Hanke korraldaja ei ole küsimusele veel vastanud

Lisa küsimus

Lisa küsimus

Minu pakkumine

Reeglid

Pakkumise kirjelduse väli on mõeldud pakkumise detailsemaks lahti kirjutamiseks. Pikema teksti mugavaks sisestamiseks klikkige kasti paremal ülaservas oleval ikoonil.
Pakkumist tehes on keelatud postitada enda kontaktandmeid (nimi, telefon, aadress jne). Me jälgime ja analüüsime pakkumisi, et vältida pettuseid ja reeglite rikkumisi.
Rikkumise puhul kasutajakonto blokeeritakse.

 

Teisi töid samas valdkonnas

Valdkonnas "Ehitusprojektid" on 6 aktiivset tööd

no-img Pilt puudub

Ehitusinsener tase 7 vastutav allikiri

Asukoht: Pärnumaa, Pärnu
Aega jäänud: 19h 3 min
Tehtud pakkumisi: 2

Korteri elektri projekt

Asukoht: Harjumaa, Tallinn
Aega jäänud: 2p 19h
Tehtud pakkumisi: 2

Vanemad teated:

Vaata kõiki

Sellel veebilehel kasutatakse küpsiseid. Kasutamist jätkates nõustute küpsiste kasutamisega.

Sulge
 
Minu pakkumine

Reeglid

Pakkumise kirjelduse väli on mõeldud pakkumise detailsemaks lahti kirjutamiseks. Pikema teksti mugavaks sisestamiseks klikkige kasti paremal ülaservas oleval ikoonil.
Pakkumist tehes on keelatud postitada enda kontaktandmeid (nimi, telefon, aadress jne). Me jälgime ja analüüsime pakkumisi, et vältida pettuseid ja reeglite rikkumisi.
Rikkumise puhul kasutajakonto blokeeritakse.