+ Lisa oma töö      

Otsid ehitajat "Ehitusprojektid" valdkonnast?

Parima pakkumise ja teostaja leidmiseks lisa oma töö.

Hange on lõppenud!

Võitjaks osutus kasutaja ID 57475

uskeava väljalõikamine ja tugenduste paigaldamine

ID 86878

376 vaatamist

Prindi

  • check Pakkumiste tegemine
    kuni 08.10.2023
  • check Võitja valik kuni
    15.10.2023
  • 3 Töö teostamine
    ja hinnang
Hanke lõpp: P, 8. oktoober, 2023
Maakond: Harjumaa
Linn: Maardu
Tööde algus: N, 12. oktoober, 2023 (Soovituslik)
Tööde lõpp: P, 15. oktoober, 2023 (Soovituslik)
Ehitusmaterjalid: Töö tegija poolt
Soovin pakkumisi: Summa kogu projektile

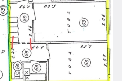
Töö sisu

Tegemist on tavalise paneelmaja korteriga. Teenuseks on ukseava laiendamine eh seinte väljalõikamine ja terasest tugevduste paigaldamine (п kujuline), töö on järelvalvega seega kohustuslikuks punktiks on ehitusdokumente täitmine nagu nt ehituspäevik jms

Pildid, video ja failid

Hanke korraldaja: eraisik ID77469

Pakkumised

Pakkumisi kokku: 4

Ettevõte Summa Käibemaks Lisatud Vestlus
Kasutaja ikoon ID3527
Pakkuja profiil Väike nool paremale
2 100€ KM lisandub KM lisandub 01.10.2023 Vestlus (6)

Pakkumise kirjeldus:

Tere!
Omame pikaajalist kogemust ehitus valdkonnas, seega töö kiire ja kvaliteetne. Töid teostame hingega ning objekti anname üle puhtana!


Lugupidamisega,
JM

Kasutaja ikoon ID70306
Pakkuja profiil Väike nool paremale
2 800€ Sisaldab KM Sisaldab KM 02.10.2023 Vestlus (0)
Kasutaja ikoon ID57475
Pakkuja profiil Väike nool paremale
1 900€ KM lisandub KM lisandub 04.10.2023 Vestlus (4)

Pakkumise kirjeldus:

Tere,


Meie pakkumine sisaldab: 2 ava sisse võtmist ja utiliseerimist+ 2 terastala paigaldust.
Hind sisaldab ka materjali.
Lisaküsimustele vastan meeleldi!
Töö saame ära teostada hankes märgitud vahemikus!

Lp. Timo

Kasutaja ikoon ID73479
Pakkuja profiil Väike nool paremale
3 000€ Sisaldab KM Sisaldab KM 08.10.2023 Vestlus (0)

Pakkumise kirjeldus:

Vabandust hinnangu pärast.
Mõned petturid annavad konkreetselt 0 hinnangut.

Tere,

Hea meelega teostame tööd teie jaoks.tööd tehakse kvaliteetselt ja võimalikult kiiresti.Pakume 5 aastane garantii oma töödele.

See hind sisaldab kõiki nimekirjas olevaid soovitud tööd.
Spetsialisti tulek teie objektile, hinnapakkumise ja tööteostamise l ... Rohkem

Küsimused hanke korraldajale

Hanke korraldajale ei ole veel küsimusi esitatud.

Lisa küsimus

Lisa küsimus

Minu pakkumine

Reeglid

Pakkumise kirjelduse väli on mõeldud pakkumise detailsemaks lahti kirjutamiseks. Pikema teksti mugavaks sisestamiseks klikkige kasti paremal ülaservas oleval ikoonil.
Pakkumist tehes on keelatud postitada enda kontaktandmeid (nimi, telefon, aadress jne). Me jälgime ja analüüsime pakkumisi, et vältida pettuseid ja reeglite rikkumisi.
Rikkumise puhul kasutajakonto blokeeritakse.

 

Teisi töid samas valdkonnas

Valdkonnas "Ehitusprojektid" on 5 aktiivset tööd

no-img Pilt puudub

Kortermaja kõigi ruumide mõõdistamine ja DWG faili koostamine

Asukoht: Harjumaa, Tallinn
Aega jäänud: 1p 20h
Tehtud pakkumisi: 2

Korterelamu mõõdistusprojekti koostamine ja jooniste digitaliseerimine

Asukoht: Lääne-Virumaa, Tapa
Aega jäänud: 4p 20h
Tehtud pakkumisi: 2

Vanemad teated:

Vaata kõiki

Sellel veebilehel kasutatakse küpsiseid. Kasutamist jätkates nõustute küpsiste kasutamisega.

Sulge
 
Minu pakkumine

Reeglid

Pakkumise kirjelduse väli on mõeldud pakkumise detailsemaks lahti kirjutamiseks. Pikema teksti mugavaks sisestamiseks klikkige kasti paremal ülaservas oleval ikoonil.
Pakkumist tehes on keelatud postitada enda kontaktandmeid (nimi, telefon, aadress jne). Me jälgime ja analüüsime pakkumisi, et vältida pettuseid ja reeglite rikkumisi.
Rikkumise puhul kasutajakonto blokeeritakse.