+ Lisa oma töö      

Otsid ehitajat "Projekteerimine" valdkonnast?

Parima pakkumise ja teostaja leidmiseks lisa oma töö.

Hange on lõppenud!

Võitjaks osutus kasutaja ID 78152

Korraldaja hinnang tehtud tööle

4.0
05.06.2024
Töökiirus: 12345
Kvaliteet: 12345
Hind: 12345

Soovisin korteri plaani muuta ning vajasin vastava kvalifikatsiooniga inimese oskusi. Arhitekt käis ka kohapeal olukorraga tutvumas ning plaan sai korralikult läbimõtestatud. Selgitati välja, mida on võimalik muuta, ning arvestati seejuures minu soovidega. Lisaks plaanile sain ka hulga häid soovitusi korteri rekonstrueerimiseks. Küll, töö tähtaeg kulges algusest arvatust pikemaks, aga lõpptulemusega olen rahul. - Stella M.

Korteri ruumide ümberplaneerimine

ID 83817

663 vaatamist

Prindi

  • check Pakkumiste tegemine
    kuni 15.02.2024
  • check Võitja valik kuni
    22.02.2024
  • 3 Töö teostamine
    ja hinnang
Hanke lõpp: N, 15. veebruar, 2024
Maakond: Viljandimaa
Linn: Viljandi
Tööde algus: R, 01. märts, 2024 (Soovituslik)
Tööde lõpp: P, 31. märts, 2024 (Soovituslik)
Ehitusmaterjalid: Töö tellija poolt
Soovin pakkumisi: Summa kogu projektile

Töö sisu

Tere!

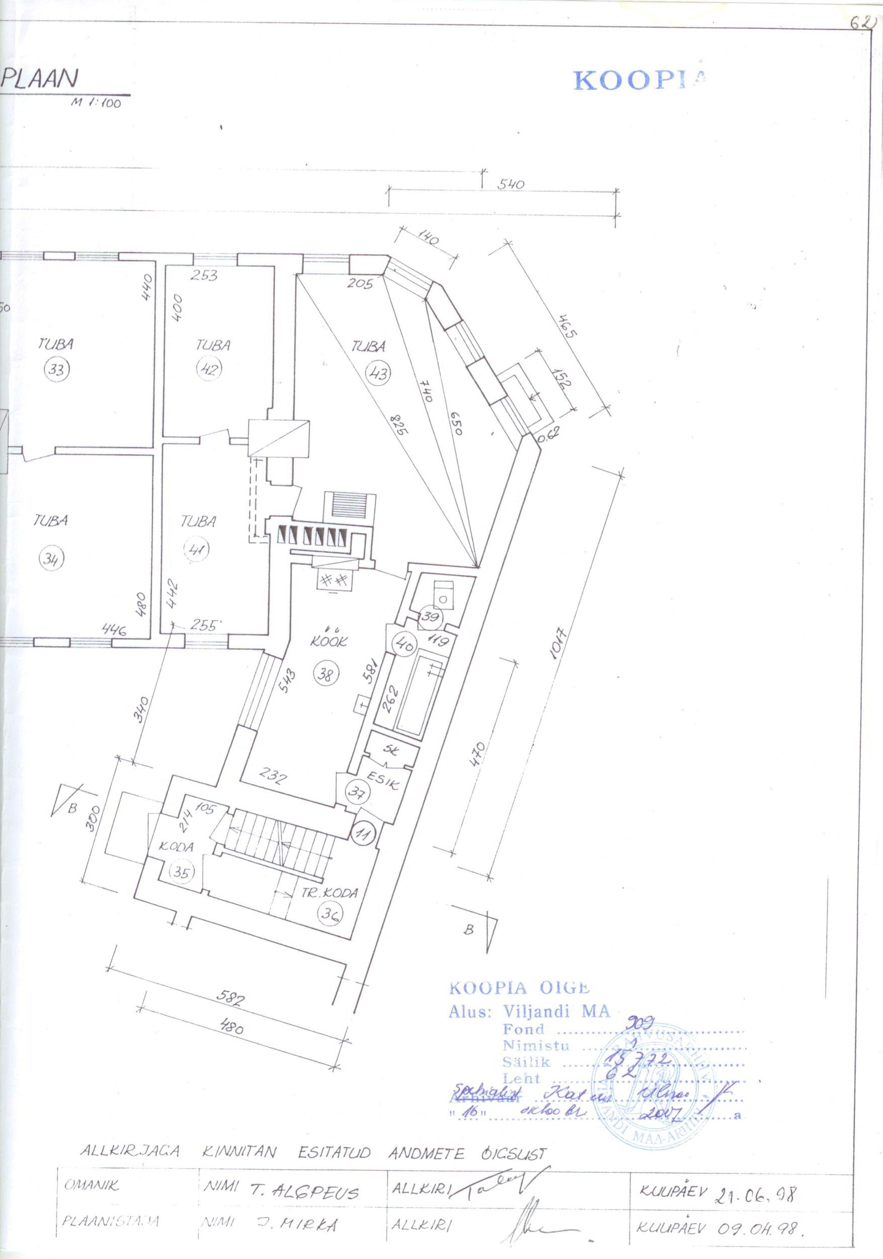
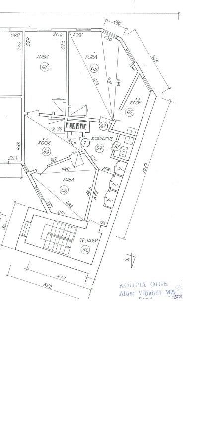
Plaanin korteri ümberehitust ja tööde hõlbustamiseks on vaja planeeritava korteri plaani. Vaja välja uurida, millised on kandvad seinad. Seejärel on soov muuta wc, vannitoa, köögi, esiku ja väikese toa asendeid. Samuti on plaan lõhkuda välja köögis olev ahi.

Tegemist on vana (rajatud ~1900) puumajaga Viljandis, teine korrus. Korter on 75 m2.

Pildid, video ja failid

Hanke korraldaja: eraisik ID75756

Pakkumised

Pakkumisi kokku: 3

Ettevõte Summa Käibemaks Lisatud Vestlus
Kasutaja ikoon ID78152
Pakkuja profiil Väike nool paremale
1 200€ Sisaldab KM Sisaldab KM 02.02.2024 Vestlus (4)

Pakkumise kirjeldus:

Korteri põhiplaani kujundamine vastavalt tellija soovile. Loogilised käiguteed, head panipaigad, san ruumi ümberpaigutus. Üldise kandeskeemi määramine. Kohapealne külastus.

Kasutaja ikoon ID77562
Pakkuja profiil Väike nool paremale
300€ Sisaldab KM Sisaldab KM 02.02.2024 Vestlus (6)

Pakkumise kirjeldus:

Pakkumine sisaldab:

1) Korteri plaan (dwg, pdf)
2) Lõige (dwg, pdf)

Juhin tähelepanu, korteri ümberehitamisel on vaja koostada ümberehitusprojekt ehitusteatise mahus. Vajadusel, võime olla projekti koostamisel abiks.

Kasutaja ikoon ID72729
Pakkuja profiil Väike nool paremale
2 100€ Sisaldab KM Sisaldab KM 15.02.2024 Vestlus (0)

Küsimused hanke korraldajale

Hanke korraldajale ei ole veel küsimusi esitatud.

Lisa küsimus

Lisa küsimus

Minu pakkumine

Reeglid

Pakkumise kirjelduse väli on mõeldud pakkumise detailsemaks lahti kirjutamiseks. Pikema teksti mugavaks sisestamiseks klikkige kasti paremal ülaservas oleval ikoonil.
Pakkumist tehes on keelatud postitada enda kontaktandmeid (nimi, telefon, aadress jne). Me jälgime ja analüüsime pakkumisi, et vältida pettuseid ja reeglite rikkumisi.
Rikkumise puhul kasutajakonto blokeeritakse.

 

Teisi töid samas valdkonnas

Valdkonnas "Projekteerimine" on 6 aktiivset tööd

no-img Pilt puudub

1-kordse 120 m2 elumaja põhiprojekt

Asukoht: Harjumaa, Metsanurme
Aega jäänud: 8p 11h
Tehtud pakkumisi: 4

no-img Pilt puudub

Saunamaja eelprojekt ehitusteatiseks

Asukoht: Lääne-Virumaa
Aega jäänud: 1p 11h
Tehtud pakkumisi: 3

Vanemad teated:

Vaata kõiki

Sellel veebilehel kasutatakse küpsiseid. Kasutamist jätkates nõustute küpsiste kasutamisega.

Sulge
 
Minu pakkumine

Reeglid

Pakkumise kirjelduse väli on mõeldud pakkumise detailsemaks lahti kirjutamiseks. Pikema teksti mugavaks sisestamiseks klikkige kasti paremal ülaservas oleval ikoonil.
Pakkumist tehes on keelatud postitada enda kontaktandmeid (nimi, telefon, aadress jne). Me jälgime ja analüüsime pakkumisi, et vältida pettuseid ja reeglite rikkumisi.
Rikkumise puhul kasutajakonto blokeeritakse.