+ Lisa oma töö      

Otsid ehitajat "Projekteerimine" valdkonnast?

Parima pakkumise ja teostaja leidmiseks lisa oma töö.

Hange on lõppenud!

Võitjaks osutus kasutaja ID 73479

Truubi vahetuse projekteerimine

ID 80895

788 vaatamist

Prindi

  • check Pakkumiste tegemine
    kuni 18.06.2023
  • check Võitja valik kuni
    25.06.2023
  • 3 Töö teostamine
    ja hinnang
Hanke lõpp: P, 18. juuni, 2023
Maakond: Harjumaa
Linn: Tallinn
Tööde algus: N, 01. juuni, 2023 (Soovituslik)
Tööde lõpp: E, 31. juuli, 2023 (Soovituslik)
Ehitusmaterjalid: Töö tegija poolt
Soovin pakkumisi: Summa kogu projektile

Töö sisu

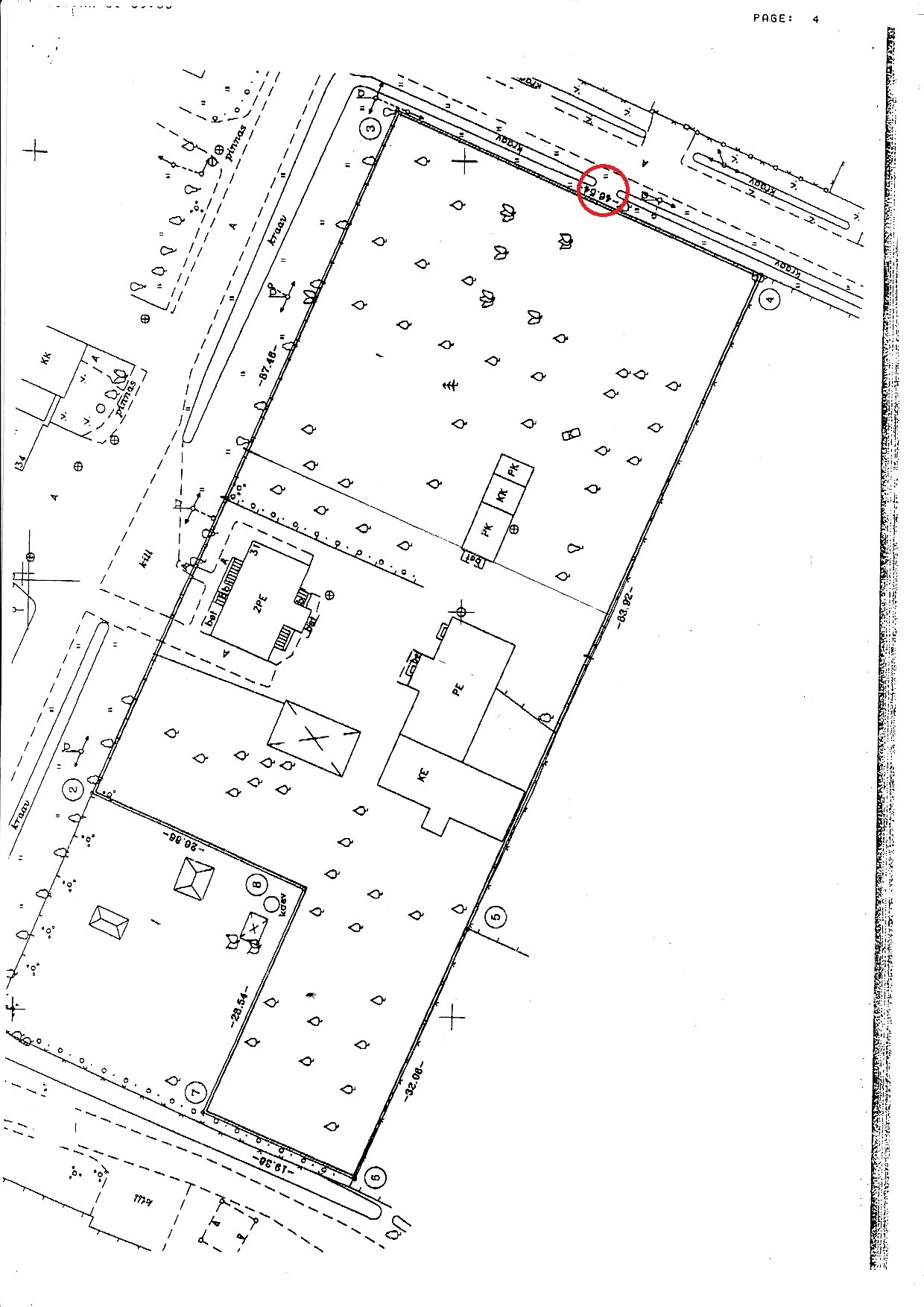
Uue truubi ja tänavalt sissesõidu projekti koostamine vastavalt etteantud projekteerimistingimustele. Võimalusel ka töö teostamine vastavalt koostatud projektile.

Pildid, video ja failid

Hanke korraldaja: eraisik ID74118

Pakkumised

Pakkumisi kokku: 3

Ettevõte Summa Käibemaks Lisatud Vestlus
Kasutaja ikoon ID73479
Pakkuja profiil Väike nool paremale
15 000€ Sisaldab KM Sisaldab KM 19.05.2023 Vestlus (0)

Pakkumise kirjeldus:

Tere

Hea meelega teostame tööd teie jaoks.Tööd tehakse kvaliteetselt ja võimalikult kiiresti.Pakume 5 aastane garantii oma töödele.

See hind sisaldab kõiki nimekirjas olevaid soovitud tööd.
Spetsialisti tulek teie objektile, hinnapakkumise ja tööteostamise lepingu koostamine.

Minu firma tegeleb katuste, fassaadide ehitusega ning üldehi ... Rohkem

Kasutaja ikoon ID38971
Pakkuja profiil Väike nool paremale
2 500€ KM lisandub KM lisandub 02.06.2023 Vestlus (2)

Pakkumise kirjeldus:

Tere!
Mahasõidu/truubi ja piirdeaia projekt 2500+KM (põhiprojekti staadium, ainult projekteerimine tänava maa-ala mahus). Sisaldab ka geoalust, ehr. menetlust, riigilõivusid ja kooskõlastusi.

NB! Dendroloogia tehakse vajadusel ja sellisel juhul lisandub - orienteeruvalt 300+KM (oleneb piirdeaia rajamise mahust/pikkusest)

Saame pakkuda ka ehitustà ... Rohkem

Kasutaja ikoon ID75353
Pakkuja profiil Väike nool paremale
9 000€ Ei ole KMKR Ei ole KMKR 18.06.2023 Vestlus (0)

Küsimused hanke korraldajale

Hanke korraldajale ei ole veel küsimusi esitatud.

Lisa küsimus

Lisa küsimus

Minu pakkumine

€

Reeglid

Pakkumise kirjelduse väli on mõeldud pakkumise detailsemaks lahti kirjutamiseks. Pikema teksti mugavaks sisestamiseks klikkige kasti paremal ülaservas oleval ikoonil.
Pakkumist tehes on keelatud postitada enda kontaktandmeid (nimi, telefon, aadress jne). Me jälgime ja analüüsime pakkumisi, et vältida pettuseid ja reeglite rikkumisi.
Rikkumise puhul kasutajakonto blokeeritakse.

 

Teisi töid samas valdkonnas

Valdkonnas "Projekteerimine" on 6 aktiivset tööd

no-img Pilt puudub

1-kordse 120 m2 elumaja põhiprojekt

Asukoht: Harjumaa, Metsanurme
Aega jäänud: 8p 17h
Tehtud pakkumisi: 4

no-img Pilt puudub

Saunamaja eelprojekt ehitusteatiseks

Asukoht: Lääne-Virumaa
Aega jäänud: 1p 17h
Tehtud pakkumisi: 3

Vanemad teated:

Vaata kõiki

Sellel veebilehel kasutatakse küpsiseid. Kasutamist jätkates nõustute küpsiste kasutamisega.

Sulge
 
Minu pakkumine
€

Reeglid

Pakkumise kirjelduse väli on mõeldud pakkumise detailsemaks lahti kirjutamiseks. Pikema teksti mugavaks sisestamiseks klikkige kasti paremal ülaservas oleval ikoonil.
Pakkumist tehes on keelatud postitada enda kontaktandmeid (nimi, telefon, aadress jne). Me jälgime ja analüüsime pakkumisi, et vältida pettuseid ja reeglite rikkumisi.
Rikkumise puhul kasutajakonto blokeeritakse.