+ Lisa oma töö      

Otsid ehitajat "Projekteerimine" valdkonnast?

Parima pakkumise ja teostaja leidmiseks lisa oma töö.

Detailplaneering Haljala

ID 77244

592 vaatamist

Prindi

  • check Pakkumiste tegemine
    kuni 27.11.2022
  • check Võitja valik kuni
    04.12.2022
  • 3 Töö teostamine
    ja hinnang
Hanke lõpp: P, 27. november, 2022
Maakond: Lääne-Virumaa
Muu asula: Haljala
Tööde algus: N, 01. detsember, 2022 (Soovituslik)
Tööde lõpp: R, 01. märts, 2024 (Soovituslik)
Ehitusmaterjalid: Töö tellija poolt
Soovin pakkumisi: Summa kogu projektile

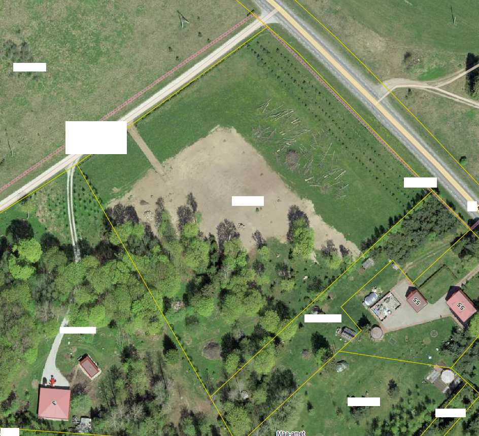
Töö sisu

Detailplaneering.
Detailplaneeringu kohustusala piir.
Hajeasustus. Kanalisatsiooni ja veetrassiga liitumist pole. Elektri liitumispunkt olemas. Maja keset krunti. Sissesõidutee olemas.
Kiiret ei ole.
Kõige odavamat pakkumist otsin.

Pildid, video ja failid

Hanke korraldaja: eraisik ID8856

Pakkumised

Pakkumisi kokku: 4

Ettevõte Summa Käibemaks Lisatud Vestlus
Kasutaja ikoon ID5128
Pakkuja profiil Väike nool paremale
1 900€ KM lisandub KM lisandub 30.10.2022 Vestlus (2)

Pakkumise kirjeldus:

Esimese etapina planeeringu algatamise taotluse juurde koostatav skeem hinnaga seitsesada eur+km. Peale algatamist ülejäänu.

Kasutaja ikoon ID70375
Pakkuja profiil Väike nool paremale
4 530€ KM lisandub KM lisandub 31.10.2022 Vestlus (0)

Pakkumise kirjeldus:

Koostatakse detailplaneering maa-ala kruntideks jagamiseks, ehitusõiguse määramiseks ning tehnovõrkudega varustamiseks. Hind sisaldab detailplaneeringu seletuskirja ja jooniste koostamist, planeeringu koostamise juhtimist ja asjaajamist, koosolekutel osalemist ning lõpplahenduse 3D visualiseerimist. Pakkumine ei sisalda lisauuringuid (geodeetilist uurin ... Rohkem

Kasutaja ikoon ID43351
Pakkuja profiil Väike nool paremale
2 850€ Ei ole KMKR Ei ole KMKR 25.11.2022 Vestlus (0)

Pakkumise kirjeldus:

Hind hõlmab detailplaneeringu koostamist sobivalt tellijale ja omavalitsusele, kogu vajalikku asjaajamist ja kooskõlastust.

Hinnale lisanduvad nõudmisel lisauuringuid (mürauuring, dendroloogiline uuring, muinsuskaitse eritingimused...), riigilõivud ja (tehnosüsteemide) kooskõlastustasud.

Kasutaja ikoon ID46826
Pakkuja profiil Väike nool paremale
1 850€ Ei ole KMKR Ei ole KMKR 27.11.2022 Vestlus (0)

Pakkumise kirjeldus:

Detailplaneeringu koostamine vastavalt tellija soovidele vallavalitsuse tingimustele ning detailplaneeringuga kaasnevad tegevused kuni planeeringu kehtestamiseni.
*kui vajalik geodeetiline alusplaan ca +500 eur

Küsimused oodatud

Küsimused hanke korraldajale

Hanke korraldajale ei ole veel küsimusi esitatud.

Lisa küsimus

Lisa küsimus

Minu pakkumine

Reeglid

Pakkumise kirjelduse väli on mõeldud pakkumise detailsemaks lahti kirjutamiseks. Pikema teksti mugavaks sisestamiseks klikkige kasti paremal ülaservas oleval ikoonil.
Pakkumist tehes on keelatud postitada enda kontaktandmeid (nimi, telefon, aadress jne). Me jälgime ja analüüsime pakkumisi, et vältida pettuseid ja reeglite rikkumisi.
Rikkumise puhul kasutajakonto blokeeritakse.

 

Teisi töid samas valdkonnas

Valdkonnas "Projekteerimine" on 6 aktiivset tööd

no-img Pilt puudub

1-kordse 120 m2 elumaja põhiprojekt

Asukoht: Harjumaa, Metsanurme
Aega jäänud: 8p 12h
Tehtud pakkumisi: 4

no-img Pilt puudub

Saunamaja eelprojekt ehitusteatiseks

Asukoht: Lääne-Virumaa
Aega jäänud: 1p 12h
Tehtud pakkumisi: 3

Vanemad teated:

Vaata kõiki

Sellel veebilehel kasutatakse küpsiseid. Kasutamist jätkates nõustute küpsiste kasutamisega.

Sulge
 
Minu pakkumine

Reeglid

Pakkumise kirjelduse väli on mõeldud pakkumise detailsemaks lahti kirjutamiseks. Pikema teksti mugavaks sisestamiseks klikkige kasti paremal ülaservas oleval ikoonil.
Pakkumist tehes on keelatud postitada enda kontaktandmeid (nimi, telefon, aadress jne). Me jälgime ja analüüsime pakkumisi, et vältida pettuseid ja reeglite rikkumisi.
Rikkumise puhul kasutajakonto blokeeritakse.