+ Lisa oma töö      

Otsid ehitajat "Ehitusprojektid" valdkonnast?

Parima pakkumise ja teostaja leidmiseks lisa oma töö.

Hange on lõppenud!

Võitjaks osutus kasutaja ID 50618

Korraldaja hinnang tehtud tööle

5.0
14.07.2022
Töökiirus: 12345
Kvaliteet: 12345
Hind: 12345

Kanalisatsiooni projekt

ID 69740

756 vaatamist

Prindi

  • check Pakkumiste tegemine
    kuni 18.03.2022
  • check Võitja valik kuni
    18.03.2022
  • 3 Töö teostamine
    ja hinnang
Hanke lõpp: R, 18. märts, 2022
Maakond: Harjumaa
Linn: Tallinn
Tööde algus: E, 07. märts, 2022 (Soovituslik)
Tööde lõpp: N, 30. juuni, 2022 (Soovituslik)
Ehitusmaterjalid: Töö tellija poolt
Soovin pakkumisi: Summa kogu projektile

Töö sisu

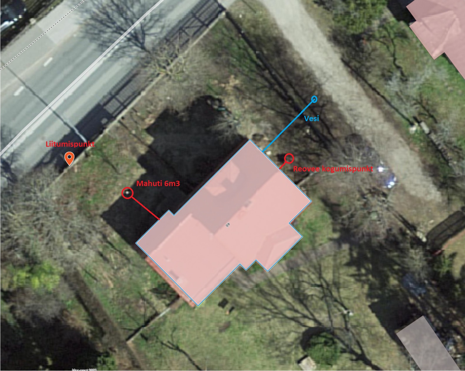
Soovin liituda kanalisatsioniks. Selleks on vaja kanalisatsiooni projekt. Praegu lokaalne kanalisatsion (mahuti). Tallinna vesi tehnilised tingimused on kaes.

Pildid, video ja failid

Hanke korraldaja: eraisik ID67717

Pakkumised

Pakkumisi kokku: 2

Ettevõte Summa Käibemaks Lisatud Vestlus
Kasutaja ikoon ID61607
Pakkuja profiil Väike nool paremale
500€ Ei ole KMKR Ei ole KMKR 17.03.2022 Vestlus (0)

Pakkumise kirjeldus:

Sisaldab projekti PP- staadiumis koos vee-ettevõtte kooskõlastuse ja ehitusteatise esitamisega.

Kinnistule oleks vaja geodeetilist plaani, olen küll hinnapäringuid küsinud, kuid pole veel vastatud ja hanke aeg hakkab läbi saama. Ehk siis see hind ei sisalda geoalust. Lisanduv geoaluse hind peaks jääma kuskil 300-400 euro juurde, mis läheb siis er ... Rohkem

Kasutaja ikoon ID50618
Pakkuja profiil Väike nool paremale
790€ KM lisandub KM lisandub 17.03.2022 Vestlus (0)

Pakkumise kirjeldus:

Hind sisaldab:
- geoteetiline alusplaan võrguhaldajate kooskõlastustega
- projekt Tallinna vee kooskõlastuse ja ehitusteatisega
- võimalik hilisem tööde teostus

Küsimused hanke korraldajale

Küsimus: private ID61607   05.03.2022 13:28
Tere!

Kas geodeetiline alusplaan kinnistule on koostatud?

Teavita reeglite rikkumisest

Korraldaja vastus: 05.03.2022 13:49

Tere! Geodeetilist plaani pole.

Teavita reeglite rikkumisest

Lisa küsimus

Lisa küsimus

Minu pakkumine

Reeglid

Pakkumise kirjelduse väli on mõeldud pakkumise detailsemaks lahti kirjutamiseks. Pikema teksti mugavaks sisestamiseks klikkige kasti paremal ülaservas oleval ikoonil.
Pakkumist tehes on keelatud postitada enda kontaktandmeid (nimi, telefon, aadress jne). Me jälgime ja analüüsime pakkumisi, et vältida pettuseid ja reeglite rikkumisi.
Rikkumise puhul kasutajakonto blokeeritakse.

 

Teisi töid samas valdkonnas

Valdkonnas "Ehitusprojektid" on 6 aktiivset tööd

no-img Pilt puudub

Ehitusinsener tase 7 vastutav allikiri

Asukoht: Pärnumaa, Pärnu
Aega jäänud: 22h 40 min
Tehtud pakkumisi: 2

Korteri elektri projekt

Asukoht: Harjumaa, Tallinn
Aega jäänud: 2p 22h
Tehtud pakkumisi: 2

Vanemad teated:

Vaata kõiki

Sellel veebilehel kasutatakse küpsiseid. Kasutamist jätkates nõustute küpsiste kasutamisega.

Sulge
 
Minu pakkumine

Reeglid

Pakkumise kirjelduse väli on mõeldud pakkumise detailsemaks lahti kirjutamiseks. Pikema teksti mugavaks sisestamiseks klikkige kasti paremal ülaservas oleval ikoonil.
Pakkumist tehes on keelatud postitada enda kontaktandmeid (nimi, telefon, aadress jne). Me jälgime ja analüüsime pakkumisi, et vältida pettuseid ja reeglite rikkumisi.
Rikkumise puhul kasutajakonto blokeeritakse.