+ Lisa oma töö      

Otsid ehitajat "Projekteerimine" valdkonnast?

Parima pakkumise ja teostaja leidmiseks lisa oma töö.

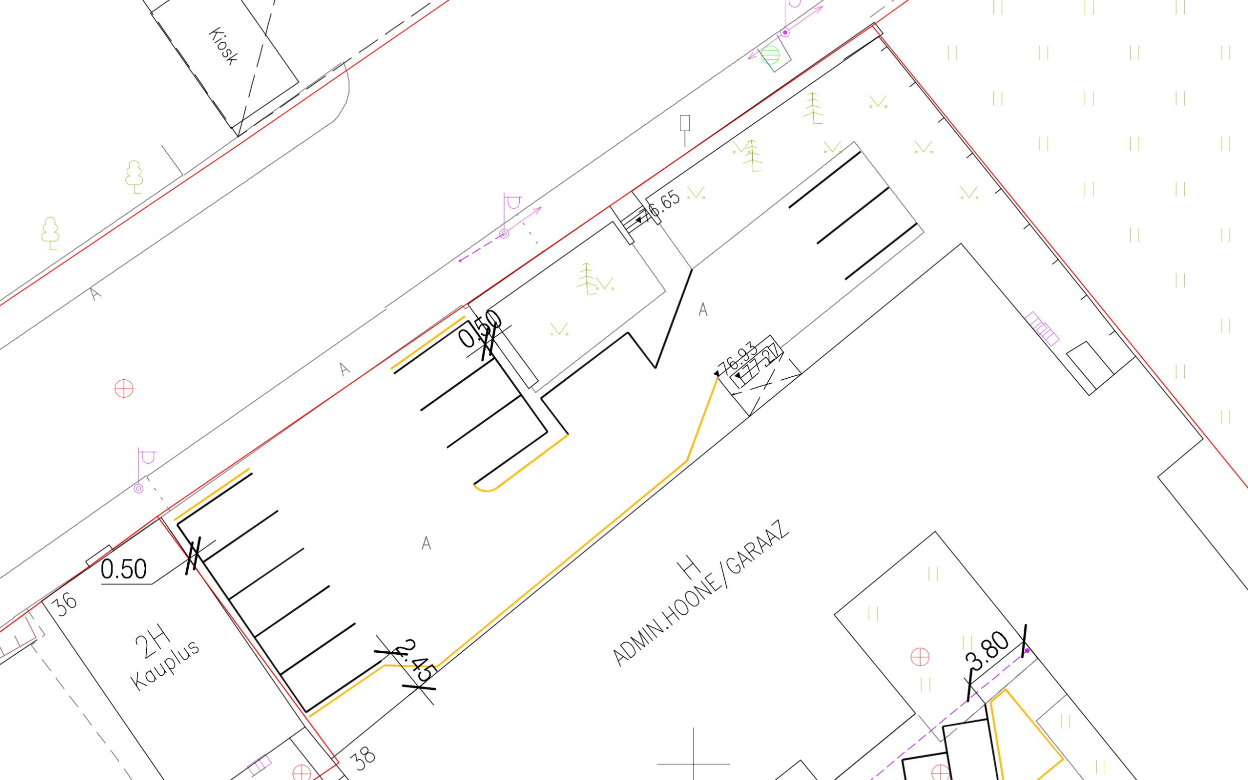
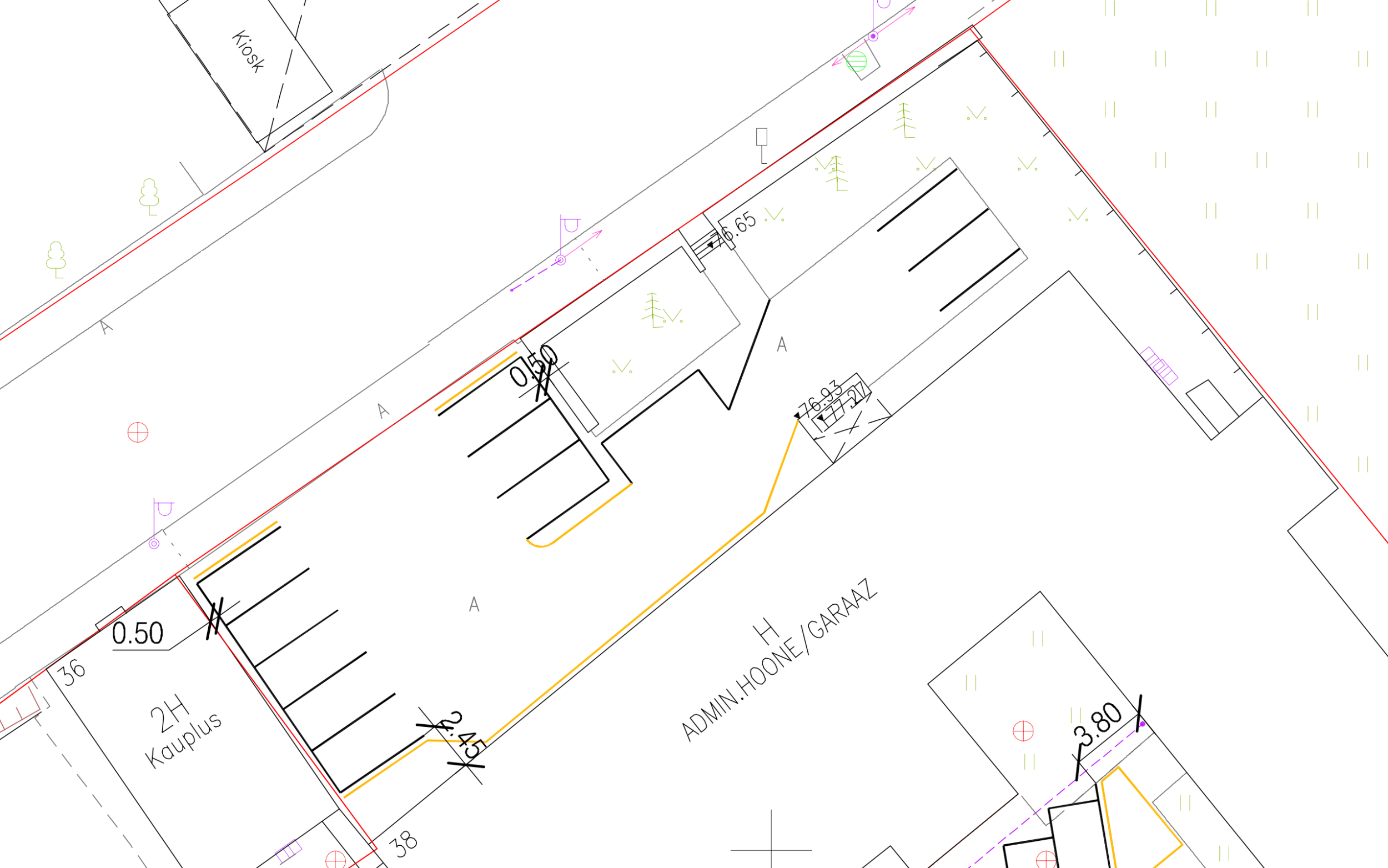
Eskiis, projekt: Mahasõidutee ehitus projekt + parkimis kohtade plaan + seletuskiri linnavalitsusse esitamiseks

ID 111179

1102 vaatamist

Prindi

  • check Pakkumiste tegemine
    kuni 20.03.2025
  • check Võitja valik kuni
    27.03.2025
  • 3 Töö teostamine
    ja hinnang
Hanke lõpp: N, 20. märts, 2025
Maakond: Lääne-Virumaa
Linn: Rakvere
Tööde lõpp: Kokkuleppel
Ehitusmaterjalid: Töö tellija poolt
Soovin pakkumisi: Summa kogu projektile

Töö sisu

Soovin projekti mida linnavalitsusse esitada. Mahasõidutee rajamine, sadeveekaev, parkimiskohad, prügimaja, Üks puu eemaldatakse. Rohealade muutmine parkimiskohtadeks.

Pildid, video ja failid

Hanke korraldaja: eraisik ID81325

Pakkumised

Pakkumisi kokku: 3

Ettevõte Summa Käibemaks Lisatud Vestlus
Kasutaja ikoon ID73568
Pakkuja profiil Väike nool paremale
21 750€ KM lisandub KM lisandub 20.03.2025 Vestlus (0)
Kasutaja ikoon ID48870
Pakkuja profiil Väike nool paremale
1 850€ Ei ole KMKR Ei ole KMKR 20.03.2025 Vestlus (0)

Pakkumise kirjeldus:

Tere
Ehitusprojekt eelprojekti staadiumis ehitisregistrile esitamiseks
Pakkumishind sisaldab:
Seletuskiri, Asendiplaan
Kooskõlastused ehitusloa saamiseks
Ehitusloa taotluse esitamine ehistisregistrisse
Kui arve tuleb eraisikule siis saab ka ilma KM-ta teha.
Olen insener, arhitekt tase 7.
Omame MTR registreeringut, EEP-EEO-EPE-EEK,
EEP: arhitektuuri ... Rohkem

Kasutaja ikoon ID46826
Pakkuja profiil Väike nool paremale
2 600€ Ei ole KMKR Ei ole KMKR 20.03.2025 Vestlus (0)

Pakkumise kirjeldus:

Mahasõidu teeprojekti koostamine koos parklaalaga
*Vertikaalplaneeringu lahendus illustreeriv
*seletuskiri, joonised
*vajalik geodeetiline alusplaan

Küsimused oodatud

Küsimused hanke korraldajale

Küsimus: private ID78702   14.03.2025 20:27
Tere

Kas soovite, et koostaksime eskiisprojekti ainult idee tutvustamiseks, või on vajalik eelprojekt ehitusloa taotlemiseks? Eelprojekt sisaldab juba detailsemaid lahendusi ja vastab ehitusloa nõuetele, samas kui eskiisprojekt on pigem esialgne visioon. Palun täpsustage, et saaksime koostada vastava pakkumist.

Lp

Teavita reeglite rikkumisest

Korraldaja vastus:
Hanke korraldaja ei ole küsimusele veel vastanud

Lisa küsimus

Lisa küsimus

Minu pakkumine

Reeglid

Pakkumise kirjelduse väli on mõeldud pakkumise detailsemaks lahti kirjutamiseks. Pikema teksti mugavaks sisestamiseks klikkige kasti paremal ülaservas oleval ikoonil.
Pakkumist tehes on keelatud postitada enda kontaktandmeid (nimi, telefon, aadress jne). Me jälgime ja analüüsime pakkumisi, et vältida pettuseid ja reeglite rikkumisi.
Rikkumise puhul kasutajakonto blokeeritakse.

 

Teisi töid samas valdkonnas

Valdkonnas "Projekteerimine" on 7 aktiivset tööd

no-img Pilt puudub

1-kordse 120 m2 elumaja põhiprojekt

Asukoht: Harjumaa, Metsanurme
Aega jäänud: 8p 8h
Tehtud pakkumisi: 4

no-img Pilt puudub

Saunamaja eelprojekt ehitusteatiseks

Asukoht: Lääne-Virumaa
Aega jäänud: 1p 8h
Tehtud pakkumisi: 3

Vanemad teated:

Vaata kõiki

Sellel veebilehel kasutatakse küpsiseid. Kasutamist jätkates nõustute küpsiste kasutamisega.

Sulge
 
Minu pakkumine

Reeglid

Pakkumise kirjelduse väli on mõeldud pakkumise detailsemaks lahti kirjutamiseks. Pikema teksti mugavaks sisestamiseks klikkige kasti paremal ülaservas oleval ikoonil.
Pakkumist tehes on keelatud postitada enda kontaktandmeid (nimi, telefon, aadress jne). Me jälgime ja analüüsime pakkumisi, et vältida pettuseid ja reeglite rikkumisi.
Rikkumise puhul kasutajakonto blokeeritakse.