+ Lisa oma töö      

Otsid ehitajat "Elektritööd" valdkonnast?

Parima pakkumise ja teostaja leidmiseks lisa oma töö.

Elektrijuhtmestiku vahetus

ID 108716

1680 vaatamist

Prindi

  • check Pakkumiste tegemine
    kuni 16.01.2025
  • check Võitja valik kuni
    23.01.2025
  • 3 Töö teostamine
    ja hinnang
Hanke lõpp: N, 16. jaanuar, 2025
Maakond: Tartumaa
Tööde lõpp: Kokkuleppel
Ehitusmaterjalid: Töö tegija poolt
Soovin pakkumisi: Summa kogu projektile

Töö sisu

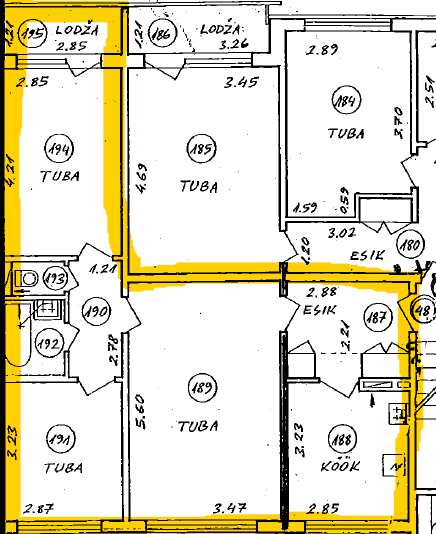
Vaja on teostada 1983. aastal valminud paneelmaja 3 toalise 63m2 korteri elektrijuhtmete vahetus. Freesida uued avad, võimalusel kasutada olemasolevaid sooni. Materjalid töövõtja poolt. Hinnapakkumine teha koos projektiga ning kilbi koostamisega. Lisatud korteri põhiplaan.

Esik:
1 laelamp ja lambilüliti
1 pistikupesa

Köök:
Pliit eraldi ühendusega.
1 laelamp ja lambilüliti
6 pistikupesa

I tuba:
1 laelamp ja 2 lambilülitit
4 pistikupesa

II tuba:
1 laelamp ja lambilüliti
4 pistikupesa

III tuba:
1 laelamp ja lambilüliti
6 pistikupesa

Vahekoridor:
1 laelamp ja 2 lambilülitit (ka WC ja Vannitoa omad)
2 pistikupesa

WC:
1 laelamp

Vannituba:
1 laelamp
1 pistikupesa

Pildid, video ja failid

Hanke korraldaja: eraisik ID87252

Pakkumised

Pakkumisi kokku: 7

Ettevõte Summa Käibemaks Lisatud Vestlus
Kasutaja ikoon ID83953
Pakkuja profiil Väike nool paremale
2 500€ Sisaldab KM Sisaldab KM 09.01.2025 Vestlus (0)
Kasutaja ikoon ID68640
Pakkuja profiil Väike nool paremale
4 000€ KM lisandub KM lisandub 10.01.2025 Vestlus (0)

Pakkumise kirjeldus:

Hind sisaldab soovitud töid,netohind vajadusel lisandub KM

Kasutaja ikoon ID86882
Pakkuja profiil Väike nool paremale
4 875€ Sisaldab KM Sisaldab KM 12.01.2025 Vestlus (0)

Pakkumise kirjeldus:

Pakkumine sisaldab kaablisoonte ja toosiavade freesimist. Kaablite ja tooside paigaldamist. Pistikupesade ja lülitite (ABB Basic55) paigaldamist. Elektripliidile ühenduskoha tegemist. Jaotuskilbi paigaldamist, koostamist ja ühendamist.

Kasutaja ikoon ID68714
Pakkuja profiil Väike nool paremale
3 880€ KM lisandub KM lisandub 12.01.2025 Vestlus (0)

Pakkumise kirjeldus:

Tere!

Hanke kirjelduses olevate tööde teostamine.
Töö ja tasu maksmine toimuks kahes etapis.
1 etapp : Kaabeldus ja toosiaukude süvistamine. Tooside paigaldamine. Jaotuskilbi paigaldus ja ühendamine.
3180 eurot.
2 etapp : Lülitite, pistikupesade ja valgustite (olemasolul) paigaldamine. Valgustid ei kuulu hinna sisse.
700 eurot.

Tööde lõp ... Rohkem

Kasutaja ikoon ID34425
Pakkuja profiil Väike nool paremale
3 800€ KM lisandub KM lisandub 15.01.2025 Vestlus (0)
Kasutaja ikoon ID52674
Pakkuja profiil Väike nool paremale
3 600€ KM lisandub KM lisandub 15.01.2025 Vestlus (0)

Pakkumise kirjeldus:

Pakkumine koos kogu materjaliga.pistikupesadeks abb basic või schneider sedna. Kilp koos rikkevoolukaitsmetega,freesimistööd ja kaabeldus.
Garantii töödele

Kasutaja ikoon ID87373
Pakkuja profiil Väike nool paremale
4 562€ Sisaldab KM Sisaldab KM 16.01.2025 Vestlus (0)

Pakkumise kirjeldus:

Tere

Pakkumine sisaldab:
materjale, tööraha, projeteerimist, mõõdistustööd ja nõuetekohase deklaratsiooni esitamist.
Hinnapakkumine ei sisalda: eritellimus pistikupesade ja lülitite seeriaid, valgusteid.

Lugupidamisega

Küsimused hanke korraldajale

Küsimus: private ID86882   10.01.2025 07:56
Kuna töö pealkiri on juhtmestiku vahetus, siis kas pistikupesad ja lülitid koos nende paigaldamsega on hinna sees? Kuhu on planeerirud jaotuskilp ja kas see peab olema süvistatud? Kas trepikojas olevast jaotuskilbist tuleb tuua uus toitekaabel? Kas kilp ja elektripliidi toide planeerida 3 või 1 faasilisena? Kaugel Tartust objekt asub ja paluks ligikaudset ilmakaart, et saaks arvestada transpordi kuluga.

Lugupidamisega

Teavita reeglite rikkumisest

Korraldaja vastus: 10.01.2025 11:30

Pistikupesad ja lülitid (koos paigaldamisega) peaksid olema hinna sees. Jaotuskilp on plaanitud koridori ja ei pea olema süvistatud. Trepikojast ei pea uut toitekaablit tooma. Kilp tuleks planeerida 3 faasilisena. Objekt asub otse Tartus, Ropka tööstusrajoonis.

Teavita reeglite rikkumisest

Lisa küsimus

Lisa küsimus

Minu pakkumine

Reeglid

Pakkumise kirjelduse väli on mõeldud pakkumise detailsemaks lahti kirjutamiseks. Pikema teksti mugavaks sisestamiseks klikkige kasti paremal ülaservas oleval ikoonil.
Pakkumist tehes on keelatud postitada enda kontaktandmeid (nimi, telefon, aadress jne). Me jälgime ja analüüsime pakkumisi, et vältida pettuseid ja reeglite rikkumisi.
Rikkumise puhul kasutajakonto blokeeritakse.

 

Teisi töid samas valdkonnas

Valdkonnas "Elektritööd" on 5 aktiivset tööd

Vana talu elektrisüsteemi uuendamine (kilp, pistikud, välivalgustus, EV valmidus)

Asukoht: Raplamaa, Suurekivi
Aega jäänud: 1p 17h
Tehtud pakkumisi: 5

Korteri remont

Asukoht: Tartumaa
Aega jäänud: 17h 7 min
Tehtud pakkumisi: 2

Vanemad teated:

Vaata kõiki

Sellel veebilehel kasutatakse küpsiseid. Kasutamist jätkates nõustute küpsiste kasutamisega.

Sulge
 
Minu pakkumine

Reeglid

Pakkumise kirjelduse väli on mõeldud pakkumise detailsemaks lahti kirjutamiseks. Pikema teksti mugavaks sisestamiseks klikkige kasti paremal ülaservas oleval ikoonil.
Pakkumist tehes on keelatud postitada enda kontaktandmeid (nimi, telefon, aadress jne). Me jälgime ja analüüsime pakkumisi, et vältida pettuseid ja reeglite rikkumisi.
Rikkumise puhul kasutajakonto blokeeritakse.