+ Lisa oma töö      

Otsid ehitajat "Haljastustööd" valdkonnast?

Parima pakkumise ja teostaja leidmiseks lisa oma töö.

Hange on lõppenud!

Võitjaks osutus kasutaja ID 74749

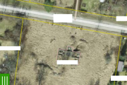
Heina ja noorde võsasse kasvanud elamukrundi hooldus/ korrastamine koos niidetud materjali äraviimisega. Tulemus peab võimaldama krunti edaspidi niiduki vōi murutrimmeriga niita.

ID 98846

600 vaatamist

Prindi

  • check Pakkumiste tegemine
    kuni 22.06.2024
  • check Võitja valik kuni
    29.06.2024
  • 3 Töö teostamine
    ja hinnang
Hanke lõpp: L, 22. juuni, 2024
Maakond: Raplamaa
Muu asula: Järvakandi
Tööde lõpp: Kokkuleppel
Ehitusmaterjalid: Töö tegija poolt
Soovin pakkumisi: Summa kogu projektile

Pildid, video ja failid

Hanke korraldaja: eraisik ID82993

Pakkumised

Pakkumisi kokku: 9

Ettevõte Summa Käibemaks Lisatud Vestlus
Kasutaja ikoon ID81105
Pakkuja profiil Väike nool paremale
1 000€ Ei ole KMKR Ei ole KMKR 20.06.2024 Vestlus (0)

Pakkumise kirjeldus:

850

Kasutaja ikoon ID83009
Pakkuja profiil Väike nool paremale
602€ Ei ole KMKR Ei ole KMKR 20.06.2024 Vestlus (0)

Pakkumise kirjeldus:

Tere,

Lisan pakkumise kirjelduse:

Transpordikulu: 56 EUR
Trimmerdamine koos võsalõikusega (arvestame trimmerdamise ruutmeetri hinda, kuna võsa pole palju): 3600 m² x 0,11 EUR = 396 EUR
Riisumine: 3 tundi x 25 EUR/tund = 75 EUR
Võsa ja heina käru peale tassimine: 1 tund x 25 EUR/tund = 25 EUR
Jäätmete utiliseerimise tasu: 50 EUR
Kokku: 602, ... Rohkem

Kasutaja ikoon ID78289
Pakkuja profiil Väike nool paremale
400€ KM lisandub KM lisandub 20.06.2024 Vestlus (0)

Pakkumise kirjeldus:

Tere.

Pakkumine teie soovitud töödele.

Niidame rohtu kasvanud krundi.
Korjame kokku võsa ja viime minema.

Maha jäänud heina ei hakkaks kokku riisuma. Trimmerdame krundi jõhviga. Koha peal saame mõelda mis sellega teeme.

Saaksime alustada juba järgmise nädala esmaspäevast 24.06

Lugupidamisega,
Kristjan

Kasutaja ikoon ID59215
Pakkuja profiil Väike nool paremale
500€ KM lisandub KM lisandub 21.06.2024 Vestlus (0)
Kasutaja ikoon ID74749
Pakkuja profiil Väike nool paremale
550€ Sisaldab KM Sisaldab KM 21.06.2024 Vestlus (4)

Pakkumise kirjeldus:

Tere

Töö saan teostada 8-9. Juuli. Võsalõikuriga eemaldan võsa ning igaksjuhuks on ka kettsaag kaasas. Jäätmed riisun ja transpordin minema.

Parimat!
Sander

Kasutaja ikoon ID80966
Pakkuja profiil Väike nool paremale
600€ Sisaldab KM Sisaldab KM 21.06.2024 Vestlus (0)

Pakkumise kirjeldus:

Hind 500 kuni 600 kuna kohapeal otseselt käinud pole panen hinna vahemiku saan nädalasees õhtuti või nädalavahetustel kõike head soovides

Kasutaja ikoon ID80108
Pakkuja profiil Väike nool paremale
2 500€ Ei ole KMKR Ei ole KMKR 22.06.2024 Vestlus (0)
Kasutaja ikoon ID80576
Pakkuja profiil Väike nool paremale
850€ KM lisandub KM lisandub 22.06.2024 Vestlus (0)

Pakkumise kirjeldus:

Tere!

Krundi niitmine, tekkinud jäätmete utiliseerimine.

Lisaks vaatame üle peale niitmist kogu krundi ning eemaldame Teie poolt mainitud materjalid (telliskivid jms) mis segavad hilisemat niitmist.

Võimalusel proovime ka siluda.
Võimalik tasuda ilma km.


Parimat,
Kristo

Kasutaja ikoon ID71569
Pakkuja profiil Väike nool paremale
590€ Sisaldab KM Sisaldab KM 22.06.2024 Vestlus (5)

Pakkumise kirjeldus:

Võsalõikus ja trimmerdamine profitrimmeriga. Võsaraide hunnikusse kogumine. Silikaattelliste kokku korjamine.

Küsimused hanke korraldajale

Küsimus: private ID68759   20.06.2024 07:14
Tere, sooviks krundi pindala teada.

Kas varasemalt on maad niidetud või on mitme aasta kulu uue heina all?
Kui kõrge on võsa?

Lg Kristo.

Teavita reeglite rikkumisest

Korraldaja vastus: 20.06.2024 09:24

Tere Kristo. Krundi suurus on 3600 ruutmeetrit ja selle keskel asub maja vundament. Maad ei ole viimased 3 aastat niidetud. Võsa ei ole väga ulatuslikult (peamiselt krundi paremas servas) ja see on orienteeruvalt silmade kõrgune (mõni noor puu ilmselt ka natuke kõrgem). Niidukiga niitmine on umbes poole krundi ulatuses võimalik, aga kohati segab see, et vundamendi ehituse ajast on jäänud pind ebatasaseks ning mingi eelmise hoone lammutamisest on mõnes kohas heina sees silikaat tellised.

Teavita reeglite rikkumisest

Küsimus: private ID80966   20.06.2024 10:51
Tere siis on trimmerdamise töö ja kui trimmerdatud siis soovite heina kokku riisumist ja ära viimist lugupidamisega siim

Teavita reeglite rikkumisest

Korraldaja vastus: 20.06.2024 16:02

Jah. Krunt peaks jätma viisaka ja hooldatud üldmulje. Kui trimmerdamine on tehtud koos heina ja võsa äraviimisega, siis peaksin saama seal järgmisel korral ise väikese niidukiga või jõhviga trimmeriga niita.

Teavita reeglite rikkumisest

Lisa küsimus

Lisa küsimus

Minu pakkumine

Reeglid

Pakkumise kirjelduse väli on mõeldud pakkumise detailsemaks lahti kirjutamiseks. Pikema teksti mugavaks sisestamiseks klikkige kasti paremal ülaservas oleval ikoonil.
Pakkumist tehes on keelatud postitada enda kontaktandmeid (nimi, telefon, aadress jne). Me jälgime ja analüüsime pakkumisi, et vältida pettuseid ja reeglite rikkumisi.
Rikkumise puhul kasutajakonto blokeeritakse.

 

Teisi töid samas valdkonnas

Valdkonnas "Haljastustööd" on 4 aktiivset tööd

no-img Pilt puudub

Muru niitmine

Asukoht: Viljandimaa, Soomevere
Aega jäänud: 3p
Tehtud pakkumisi: 1

Aia veesilma, kose ja lõkkeplatsi rajamine

Asukoht: Harjumaa, Laagri
Aega jäänud: 7p
Tehtud pakkumisi: 0

Vanemad teated:

Vaata kõiki

Sellel veebilehel kasutatakse küpsiseid. Kasutamist jätkates nõustute küpsiste kasutamisega.

Sulge
 
Minu pakkumine

Reeglid

Pakkumise kirjelduse väli on mõeldud pakkumise detailsemaks lahti kirjutamiseks. Pikema teksti mugavaks sisestamiseks klikkige kasti paremal ülaservas oleval ikoonil.
Pakkumist tehes on keelatud postitada enda kontaktandmeid (nimi, telefon, aadress jne). Me jälgime ja analüüsime pakkumisi, et vältida pettuseid ja reeglite rikkumisi.
Rikkumise puhul kasutajakonto blokeeritakse.