+ Lisa oma töö      

Otsid ehitajat "Teede ehitus, teede korrashoid" valdkonnast?

Parima pakkumise ja teostaja leidmiseks lisa oma töö.

platsi ja tee ehitus

ID 87379

1043 vaatamist

Prindi

  • check Pakkumiste tegemine
    kuni 17.11.2023
  • check Võitja valik kuni
    24.11.2023
  • 3 Töö teostamine
    ja hinnang
Hanke lõpp: R, 17. november, 2023
Maakond: Läänemaa
Muu asula: Lääne-Nigula
Tööde algus: N, 16. november, 2023 (Soovituslik)
Tööde lõpp: P, 10. detsember, 2023 (Soovituslik)
Ehitusmaterjalid: Töö tegija poolt
Soovin pakkumisi: Summa kogu projektile

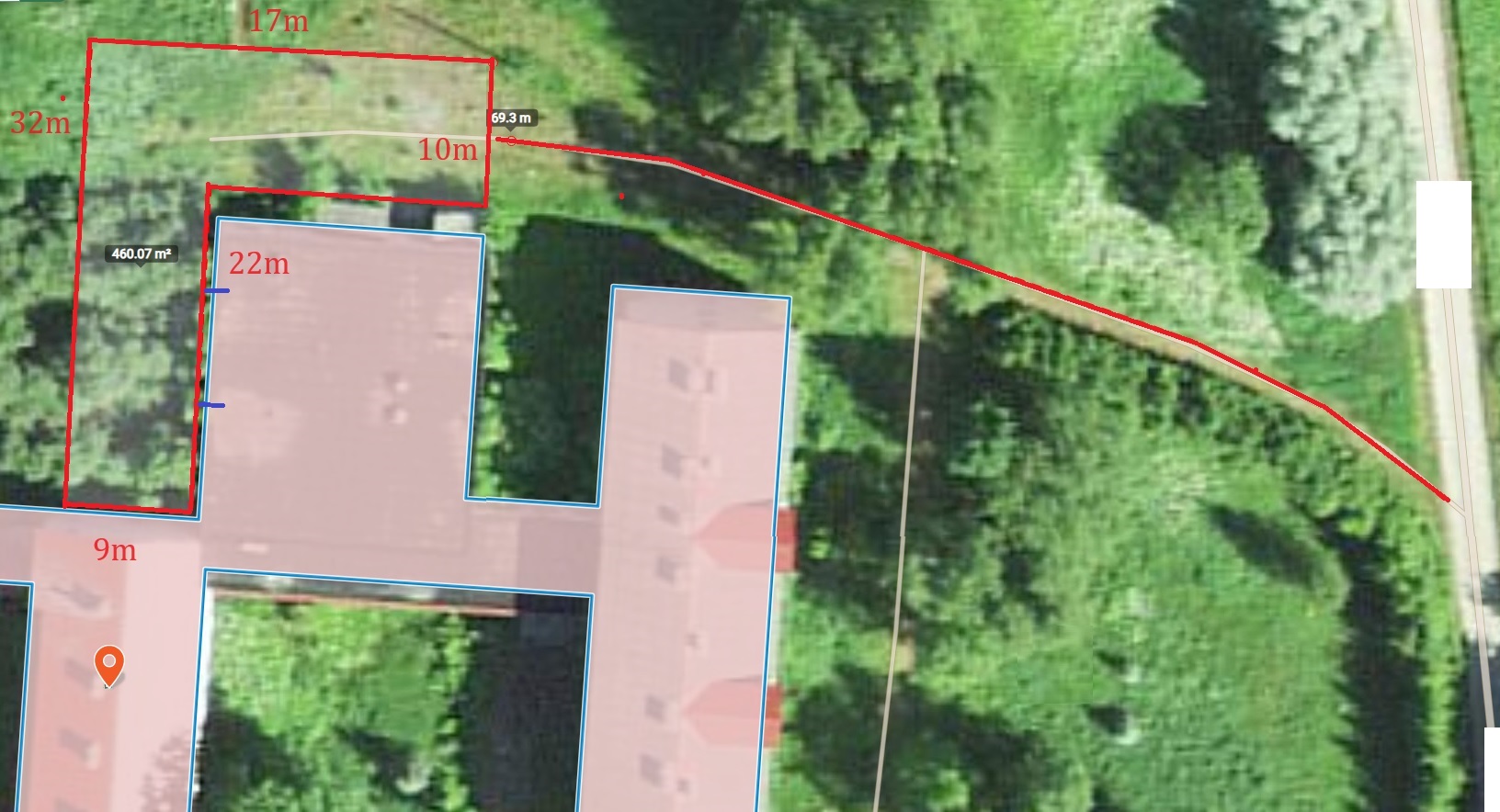
Töö sisu

Rajada 460m2 platsi ja 210 m2 teed, kaetud freesasfaldiga. Lammutada vana trepp.
Plaanitud 460m2 platsi alla jääb ca170m2 vana killustiku platsi ja 120m2 alas on vanad astelpaju võsa kännud. 70m 3m laiune tee all on killustiku kate. Vana platsi ja tee killustiku kate on kinni kasvanud.
Mullakihi paksus ca20-30cm.
Lamekatuselt tuleb platsi suunas alla kaks vihmaveetoru, juhtida sademevee renniga eemale.

Pildid, video ja failid

Hanke korraldaja: eraisik ID39443

Pakkumised

Pakkumisi kokku: 12

Ettevõte Summa Käibemaks Lisatud Vestlus
Kasutaja ikoon ID77816
Pakkuja profiil Väike nool paremale
17 600€ Ei ole KMKR Ei ole KMKR 22.10.2023 Vestlus (3)

Pakkumise kirjeldus:

Tere, hind sisaldab tee ja platsi ehitust kuni freesasfalt katteni.
Pakkumises olen arvestanud ka trepi lammutamise ja utiliseerimisega ning renni paigaldusega.
Väljakaeve materjali jätaks kohapeale, lisatasu eest selle mulla sõelumine ja haljastustöö.

Teostatud töödele 3a garantii.


Lugupidamisega.

Kasutaja ikoon ID38499
Pakkuja profiil Väike nool paremale
15 500€ KM lisandub KM lisandub 23.10.2023 Vestlus (2)

Pakkumise kirjeldus:

Tere! Kõik tingimused (maksmine, katendi paksused ja materjalid) arutaks läbi privaatvestluses. lugupidamisega Sten.

Kasutaja ikoon ID60423
Pakkuja profiil Väike nool paremale
17 500€ Ikoon kell Ei ole KMKR Ei ole KMKR 01.11.2023 Vestlus (3)
Kasutaja ikoon ID73568
Pakkuja profiil Väike nool paremale
32 250€ KM lisandub KM lisandub 02.11.2023 Vestlus (0)
Kasutaja ikoon ID50594
Pakkuja profiil Väike nool paremale
21 800€ KM lisandub KM lisandub 02.11.2023 Vestlus (0)

Pakkumise kirjeldus:

Tere,

Pakkumine vastavalt hanke kirjeldusele.

Lgp. Taivo

Kasutaja ikoon ID48431
Pakkuja profiil Väike nool paremale
13 500€ Sisaldab KM Sisaldab KM 07.11.2023 Vestlus (0)

Pakkumise kirjeldus:

Tere
Minu pakkumine hankes olevale tööle.

Kasutaja ikoon ID37352
Pakkuja profiil Väike nool paremale
15 000€ KM lisandub KM lisandub 10.11.2023 Vestlus (0)
Kasutaja ikoon ID73310
Pakkuja profiil Väike nool paremale
12 000€ KM lisandub KM lisandub 13.11.2023 Vestlus (0)

Pakkumise kirjeldus:

Pakkumine kogutööle.

Kasutaja ikoon ID34075
Pakkuja profiil Väike nool paremale
16 600€ KM lisandub KM lisandub 13.11.2023 Vestlus (0)
Kasutaja ikoon ID76494
Pakkuja profiil Väike nool paremale
19 275€ KM lisandub KM lisandub 17.11.2023 Vestlus (0)

Pakkumise kirjeldus:

Tere
Pakkumine teie tööle alustada saame siis kui teile sobib. pakkumise kõik tööd mis hanges tellija soovis(kaevamine, tehnika, materjalid ja töö).

Kasutaja ikoon ID60852
Pakkuja profiil Väike nool paremale
14 000€ KM lisandub KM lisandub 17.11.2023 Vestlus (1)

Pakkumise kirjeldus:

Pakkumine tööle koos materjalidega

Kasutaja ikoon ID35170
Pakkuja profiil Väike nool paremale
11 000€ KM lisandub KM lisandub 17.11.2023 Vestlus (2)

Pakkumise kirjeldus:

Tere.Pakkumine sisaldab kõiki hankes kirjeldatud töid ja materjale.
Ettemaksu soovime peale väljakaevet ja ennem tagasitäite kruusa vedu.
Olemas ka mullasõel kui soov hiljem väljakaevatud muld sõeluda haljastuseks.
Küsige lisa vestluses.

Küsimused hanke korraldajale

Küsimus: private ID34288   18.10.2023 16:01
Tere.

Oleks mõned küsimused.

Kus asub Läänemaal?

Kuhu ladustada väljakaeve, või peab ära viima?

Lugupidamisega.

Teavita reeglite rikkumisest

Korraldaja vastus: 18.10.2023 20:39

Tere
Lääne maakond, Lääne-Nigula vald. täpsemalt Palivere lähedal.
Teha pakkumine ilma väljakaevet ära viimata, saab ladustada platsi kõrvale alasse.

Lugupidamisega

Teavita reeglite rikkumisest

Küsimus: private ID35170   09.11.2023 08:42
Tere.
Täpsustaks üle kas olemasoleva platsialuse kus on juba killustik peab ka välja kaevama või piisab kui eemaldada mätas pealt ja vana killustiku pinnas alles jätta kui on kõva alus.

Teavita reeglite rikkumisest

Korraldaja vastus: 09.11.2023 11:14

Tere

Loodan et piisab mätta eemaldamisest ja korrastamisest, aluspõhja kandvust ning ka piiritletust peaks vähe täpsemalt uurima. niipalju teada et kuni 2013aastani teenindati mööda teed sööklat ning seal seisid ka prügikonteinerid...

Kuna tekkinud kevadeks soov ühe lisaplatsi korrastuse/laiendamise vastu (ka osaliselt vana killu plats), siis vähendan hetke hankes olevalt alal töömahtu ja suunan vahendid teisele platsile. kellel huvi, saab täpsemalt infot jagada ning ka kohapeal üle vaadata.

Objektiga saab veel tutvuda 13.11

Hankes toodud soovitud algus ja lõpp ei ole täpsed. Hetke vajadus on märts2024'ks plats oleks kandev ja sõidetav.

Teavita reeglite rikkumisest

Lisa küsimus

Lisa küsimus

Minu pakkumine

Reeglid

Pakkumise kirjelduse väli on mõeldud pakkumise detailsemaks lahti kirjutamiseks. Pikema teksti mugavaks sisestamiseks klikkige kasti paremal ülaservas oleval ikoonil.
Pakkumist tehes on keelatud postitada enda kontaktandmeid (nimi, telefon, aadress jne). Me jälgime ja analüüsime pakkumisi, et vältida pettuseid ja reeglite rikkumisi.
Rikkumise puhul kasutajakonto blokeeritakse.

 

Teisi töid samas valdkonnas

Valdkonnas "Teede ehitus, teede korrashoid" on 4 aktiivset tööd

no-img Pilt puudub

Kruusatee tasandamine ja uue kihi pealepanek

Asukoht: Võrumaa, Võru
Aega jäänud: 23h 20 min
Tehtud pakkumisi: 1

Sissesõidu tee ehitus

Asukoht: Raplamaa, Märjamaa
Aega jäänud: 2p 23h
Tehtud pakkumisi: 1

Vanemad teated:

Vaata kõiki

Sellel veebilehel kasutatakse küpsiseid. Kasutamist jätkates nõustute küpsiste kasutamisega.

Sulge
 
Minu pakkumine

Reeglid

Pakkumise kirjelduse väli on mõeldud pakkumise detailsemaks lahti kirjutamiseks. Pikema teksti mugavaks sisestamiseks klikkige kasti paremal ülaservas oleval ikoonil.
Pakkumist tehes on keelatud postitada enda kontaktandmeid (nimi, telefon, aadress jne). Me jälgime ja analüüsime pakkumisi, et vältida pettuseid ja reeglite rikkumisi.
Rikkumise puhul kasutajakonto blokeeritakse.