+ Lisa oma töö      

Otsid ehitajat "Üldehitus" valdkonnast?

Parima pakkumise ja teostaja leidmiseks lisa oma töö.

Plaatvundamendi ehitus

ID 82892

857 vaatamist

Prindi

  • check Pakkumiste tegemine
    kuni 19.06.2023
  • check Võitja valik kuni
    26.06.2023
  • 3 Töö teostamine
    ja hinnang
Hanke lõpp: E, 19. juuni, 2023
Maakond: Harjumaa
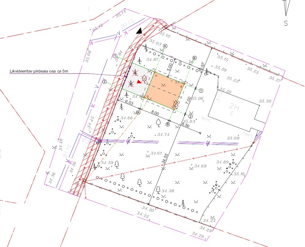
Muu asula: Valingu
Tööde algus: E, 26. juuni, 2023 (Soovituslik)
Tööde lõpp: E, 03. juuli, 2023 (Soovituslik)
Ehitusmaterjalid: Töö tellija poolt
Soovin pakkumisi: Summa kogu projektile

Töö sisu

Tere!

Ootan pakkumisi plaatvundamendi ehitusele.

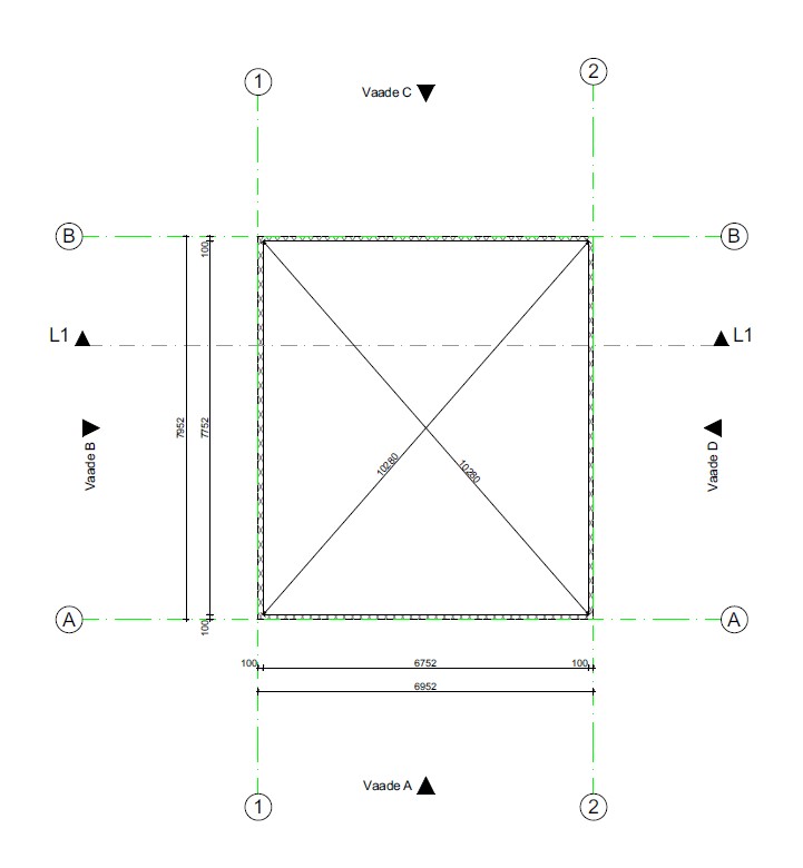
56m2, täpsem info lisatud hankele failidena.
Vundamendi telgede mahamärkimine.
Pinnasetööd koos tagasitäitega. Pinnas 20-60 cm kivist mulda, all paas.
Katuselt tuleva sademevee jaoks imbsüsteem, soov 1 sademeveelehter ja drenaaž mõlemale poole hoonet.
1 Elektri läbiviigu paigaldus.
Vundamendi perimeetri L ploki (400x500) paigaldus.
Aluspõranda EPS paigaldust 3x100 EPS100
Betoonialuse kile paigaldus (0.2mm)
Armatuurkonsooli paigaldus (rangid 200x200, S200, armatuursirge 4x12mm, armatuurvõrk 150x150x8mm) ülekatted vastavalt nõuetele.
Betoneerimine C30/37 betooniga, lattimine ja kopteriga lihvimine.
Ehitusplatsi koristus.

Pildid, video ja failid

Hanke korraldaja: eraisik ID71151

Pakkumised

Pakkumisi kokku: 5

Ettevõte Summa Käibemaks Lisatud Vestlus
Kasutaja ikoon ID66447
Pakkuja profiil Väike nool paremale
3 700€ Ei ole KMKR Ei ole KMKR 13.06.2023 Vestlus (0)

Pakkumise kirjeldus:

Tere!
Hind tööle

Edukat hanget!

Kasutaja ikoon ID75353
Pakkuja profiil Väike nool paremale
4 500€ Ei ole KMKR Ei ole KMKR 17.06.2023 Vestlus (0)
Kasutaja ikoon ID61081
Pakkuja profiil Väike nool paremale
11 760€ KM lisandub KM lisandub 18.06.2023 Vestlus (0)

Pakkumise kirjeldus:

Tere.

Hinnapakkumine sisaldab nii tööd kui ka kõiki vajaminevaid materjale.

Kasutaja ikoon ID73202
Pakkuja profiil Väike nool paremale
15 000€ Sisaldab KM Sisaldab KM 19.06.2023 Vestlus (0)
Kasutaja ikoon ID74647
Pakkuja profiil Väike nool paremale
10 500€ KM lisandub KM lisandub 19.06.2023 Vestlus (2)

Pakkumise kirjeldus:

Tere,

Hind sisaldab tööd ja materjale:
-Hoone telgede mahamärkimist
-Huumusekihi eemaldamine koos äraveoga
-Aluspinna täitmine ja tihendamine
-Drenaazide/elektri läbiviigu paigaldus
- L plokkide paigaldus EPS 200
- Põrandaaluste plokkide EPS 100 paigaldus
- Kile paigaldus
- Armatuuri ja armatuurvõrgu paigaldus
- betoonivalu, lattimine ja ... Rohkem

Küsimused hanke korraldajale

Küsimus: private ID61081   13.06.2023 20:55
Tere.
Kas materjalid tellija poolt?

Teavita reeglite rikkumisest

Korraldaja vastus: 13.06.2023 21:06

Tere!

Tellijale oleks mugavam kui töövõtja hoolitseks kõige eest.

Lugupidamisega

Teavita reeglite rikkumisest

Lisa küsimus

Lisa küsimus

Minu pakkumine

Reeglid

Pakkumise kirjelduse väli on mõeldud pakkumise detailsemaks lahti kirjutamiseks. Pikema teksti mugavaks sisestamiseks klikkige kasti paremal ülaservas oleval ikoonil.
Pakkumist tehes on keelatud postitada enda kontaktandmeid (nimi, telefon, aadress jne). Me jälgime ja analüüsime pakkumisi, et vältida pettuseid ja reeglite rikkumisi.
Rikkumise puhul kasutajakonto blokeeritakse.

 

Teisi töid samas valdkonnas

Valdkonnas "Üldehitus" on 27 aktiivset tööd

Terassi õlitamine, 13,7 ruutu

Asukoht: Harjumaa, Saue
Aega jäänud: 5p 16h
Tehtud pakkumisi: 4

Eramaja ehitus

Asukoht: Harjumaa, Suurupi
Aega jäänud: 4p 16h
Tehtud pakkumisi: 4

Vanemad teated:

Vaata kõiki

Sellel veebilehel kasutatakse küpsiseid. Kasutamist jätkates nõustute küpsiste kasutamisega.

Sulge
 
Minu pakkumine

Reeglid

Pakkumise kirjelduse väli on mõeldud pakkumise detailsemaks lahti kirjutamiseks. Pikema teksti mugavaks sisestamiseks klikkige kasti paremal ülaservas oleval ikoonil.
Pakkumist tehes on keelatud postitada enda kontaktandmeid (nimi, telefon, aadress jne). Me jälgime ja analüüsime pakkumisi, et vältida pettuseid ja reeglite rikkumisi.
Rikkumise puhul kasutajakonto blokeeritakse.