+ Lisa oma töö      

Otsid ehitajat "Tänavakivide paigaldus" valdkonnast?

Parima pakkumise ja teostaja leidmiseks lisa oma töö.

Hange on lõppenud!

Võitjaks osutus kasutaja ID 55769

Korraldaja hinnang tehtud tööle

4.7
25.03.2024
Töökiirus: 12345
Kvaliteet: 12345
Hind: 12345

Tänavakivi paigaldus

ID 80701

858 vaatamist

Prindi

  • check Pakkumiste tegemine
    kuni 23.04.2023
  • check Võitja valik kuni
    30.04.2023
  • 3 Töö teostamine
    ja hinnang
Hanke lõpp: P, 23. aprill, 2023
Maakond: Pärnumaa
Muu asula: Luuri
Tööde algus: E, 01. mai, 2023 (Soovituslik)
Tööde lõpp: K, 31. mai, 2023
Ehitusmaterjalid: Töö tellija poolt
Soovin pakkumisi: Summa kogu projektile

Töö sisu

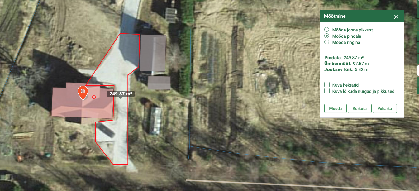
Vajalik paigaldada u 250 m2 tänavakivi (nunna kivi 60) ja 100 m äärekivi. Väljakaeve tehtud, 16/32 killustik maas, tahab tihendamist uuesti.
Sooviks hinda põhja lõpuni tegemisele, äärekivide paigaldusele ja kivide paigaldusele. Äärekivid, liiv u 28 tonni ja 4/16 kild u 20 tonni olemas.

Asukoht: Luuri küla, Põhja-Pärnumaa.

Pildid, video ja failid

Hanke korraldaja: eraisik ID24511

Pakkumised

Pakkumisi kokku: 6

Ettevõte Summa Käibemaks Lisatud Vestlus
Kasutaja ikoon ID59430
Pakkuja profiil Väike nool paremale
7 000€ KM lisandub KM lisandub 17.04.2023 Vestlus (0)
Kasutaja ikoon ID70709
Pakkuja profiil Väike nool paremale
8 750€ Ei ole KMKR Ei ole KMKR 17.04.2023 Vestlus (0)

Pakkumise kirjeldus:

Tere.
Pakkumine teie hankele.

Lugupidamisega,
Janek.

Kasutaja ikoon ID73990
Pakkuja profiil Väike nool paremale
7 500€ KM lisandub KM lisandub 20.04.2023 Vestlus (0)
Kasutaja ikoon ID60585
Pakkuja profiil Väike nool paremale
5 600€ Ei ole KMKR Ei ole KMKR 22.04.2023 Vestlus (0)

Pakkumise kirjeldus:

Hind vastavalt hankes kirjeldatule.

Töödele garantii.
Valmis alustama nädala jooksul

Kasutaja ikoon ID55769
Pakkuja profiil Väike nool paremale
4 900€ Sisaldab KM Sisaldab KM 23.04.2023 Vestlus (0)

Pakkumise kirjeldus:

Tere, töö raha koos tööriistade, transpordiga.
Tervitused

Kasutaja ikoon ID73479
Pakkuja profiil Väike nool paremale
7 000€ Sisaldab KM Sisaldab KM 23.04.2023 Vestlus (0)

Pakkumise kirjeldus:

Tere

Hea meelega teostame tööd teie jaoks.Tööd tehakse kvaliteetselt ja võimalikult kiiresti.Pakume 5 aastane garantii oma töödele.

See hind sisaldab kõiki nimekirjas olevaid soovitud tööd.
Spetsialisti tulek teie objektile, hinnapakkumise ja tööteostamise lepingu koostamine.

Minu firma tegeleb katuste, fassaadide ehitusega ning üldehi ... Rohkem

Küsimused hanke korraldajale

Hanke korraldajale ei ole veel küsimusi esitatud.

Lisa küsimus

Lisa küsimus

Minu pakkumine

Reeglid

Pakkumise kirjelduse väli on mõeldud pakkumise detailsemaks lahti kirjutamiseks. Pikema teksti mugavaks sisestamiseks klikkige kasti paremal ülaservas oleval ikoonil.
Pakkumist tehes on keelatud postitada enda kontaktandmeid (nimi, telefon, aadress jne). Me jälgime ja analüüsime pakkumisi, et vältida pettuseid ja reeglite rikkumisi.
Rikkumise puhul kasutajakonto blokeeritakse.

 

Teisi töid samas valdkonnas

Valdkonnas "Tänavakivide paigaldus" on 4 aktiivset tööd

Unikivi paigaldus

Asukoht: Harjumaa, Peetri
Aega jäänud: 6p 20h
Tehtud pakkumisi: 2

Tänavakivi paigaldus

Asukoht: Järvamaa
Aega jäänud: 13p 20h
Tehtud pakkumisi: 0

Vanemad teated:

Vaata kõiki

Sellel veebilehel kasutatakse küpsiseid. Kasutamist jätkates nõustute küpsiste kasutamisega.

Sulge
 
Minu pakkumine

Reeglid

Pakkumise kirjelduse väli on mõeldud pakkumise detailsemaks lahti kirjutamiseks. Pikema teksti mugavaks sisestamiseks klikkige kasti paremal ülaservas oleval ikoonil.
Pakkumist tehes on keelatud postitada enda kontaktandmeid (nimi, telefon, aadress jne). Me jälgime ja analüüsime pakkumisi, et vältida pettuseid ja reeglite rikkumisi.
Rikkumise puhul kasutajakonto blokeeritakse.