+ Lisa oma töö      

Otsid ehitajat "Elektritööd" valdkonnast?

Parima pakkumise ja teostaja leidmiseks lisa oma töö.

Hange on lõppenud!

Võitjaks osutus kasutaja ID 60910

Korraldaja hinnang tehtud tööle

5.0
13.09.2023
Töökiirus: 12345
Kvaliteet: 12345
Hind: 12345

Töö oli tehtud kokkulepitud ajal, kiiresti ja korralikult. Töö teostaja aitas kaasa mõelda ning pakkus omalt poolt ideid parema tulemuse saavutamiseks. - Marit L.

Elektritööd saunamajja

ID 79747

1042 vaatamist

Prindi

  • check Pakkumiste tegemine
    kuni 23.03.2023
  • check Võitja valik kuni
    30.03.2023
  • 3 Töö teostamine
    ja hinnang
Hanke lõpp: N, 23. märts, 2023
Maakond: Harjumaa
Muu asula: Salmistu
Tööde algus: N, 01. juuni, 2023 (Soovituslik)
Tööde lõpp: R, 30. juuni, 2023
Ehitusmaterjalid: Töö tellija poolt
Soovin pakkumisi: Summa kogu projektile

Töö sisu

Hetkel on kinnistul suur maja, mis läheb lammutamisele siis kui paberid korda saab. Saunamaja tuleb aga umbes juuni kuus. Suure tõenäosusega saab saunamaja enne püsti kui vana maja lammutamisele.
Praegune lahendus on nii, et Elektrilevi liitumispunkt on kuskil küla vahel minule teadmata kohas. Sealt tuleb siis meie kaabel otse vanasse majja, kus on elektrikilp, milles peakaitse, arvesti, korgid jne. Kuna vana maja läheb lammutamisele siis sinna elektrit vaja ei ole.
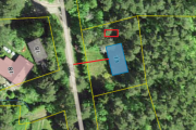
Kaardil punane joon on umbes praeguse kaabli koht vana majani ning punane ruut on uue saunamaja asukoht.
Vaja oleks siis saada elekter uude majja ja majasisesed elektritööd (s.h juhtmete vedu, kilbi paigaldus jne). Sooviksin ka plaani ja jooniseid.
Kui tundub targem ja parem siis võib ka välise kilbi panna, kust edasi vedada.

Pildid, video ja failid

Hanke korraldaja: eraisik ID70162

Pakkumised

Pakkumisi kokku: 4

Ettevõte Summa Käibemaks Lisatud Vestlus
Kasutaja ikoon ID25180
Pakkuja profiil Väike nool paremale
800€ KM lisandub KM lisandub 20.03.2023 Vestlus (0)

Pakkumise kirjeldus:

Välikilbi paigaldamine ja ühendamine. Pakkumine eeldab et peakaitsme suurus on kuni 32A. Lugupidamisega

Kasutaja ikoon ID60910
Pakkuja profiil Väike nool paremale
1 200€ KM lisandub KM lisandub 20.03.2023 Vestlus (2)

Pakkumise kirjeldus:

Tere

Pakkumine sisaldab:


Toitekaabli ja kilbi demontaazi

Saunamajas kaablite ja kilbi paigaldust

Pistikupesade ja valgustite paigaldamist

Toitekaabli pikendamist või ühendamist kilpi.

Pakkumine ei sisalda tööks vaja minevaid materjale ega kaevetöid.
Esialgu sooviks esmalt objekt algul üle vaadata ning arutada kuidas kõige parem ... Rohkem

Kasutaja ikoon ID26292
Pakkuja profiil Väike nool paremale
4 480€ KM lisandub KM lisandub 21.03.2023 Vestlus (0)

Pakkumise kirjeldus:

Uue maja kilp, kaabeldus koos pistikupesade ja lülititega ja olemasoleva toitekaabli pikendamine uude majja. Dokumentatsioon.

Kasutaja ikoon ID73476
Pakkuja profiil Väike nool paremale
1 150€ Sisaldab KM Sisaldab KM 23.03.2023 Vestlus (0)

Küsimused hanke korraldajale

Küsimus: private ID60910   20.03.2023 15:02
Tere

Kas oleks võimalik lisada mingi asendiplaannvõi ruumide ülesehitus?

Teavita reeglite rikkumisest

Korraldaja vastus: 20.03.2023 18:52

Lisasin saunamaja ruumilahenduse.

Teavita reeglite rikkumisest

Küsimus: private ID25180   20.03.2023 15:54
Tere.
Siin tuleb ikka alustada liitumispunkti andmetest. Siis võib otsustada mis lahendus parem on.

Teavita reeglite rikkumisest

Korraldaja vastus: 20.03.2023 18:55

Tere,
Hetkel on majas peakaitse 25A. Elektrileviga on räägitud ja nende nägemus asjast on, et kui vaja elekter jaotuspunktist välja lülitada ja kilbis plomm maha võtta siis kutsun nad kohale. Sama ka uuesti ühendamise ja plommi peale panekuga.

Teavita reeglite rikkumisest

Küsimus: private ID26292   21.03.2023 09:00
Kas soovite saunamajale võtta toite olemasolevast vanast kaablist seda jätkates või tuleks siiski paigaldada Elektrilevi liitumispunktist alates uus toitekaabel saunamajja ? Teine variant oleks ilmselt mõistlikum.

Teavita reeglite rikkumisest

Korraldaja vastus: 21.03.2023 09:05

Arvestades, et liitumispunkt on kaugel siis soovin vana kaablit jätkata.

Teavita reeglite rikkumisest

Lisa küsimus

Lisa küsimus

Minu pakkumine

Reeglid

Pakkumise kirjelduse väli on mõeldud pakkumise detailsemaks lahti kirjutamiseks. Pikema teksti mugavaks sisestamiseks klikkige kasti paremal ülaservas oleval ikoonil.
Pakkumist tehes on keelatud postitada enda kontaktandmeid (nimi, telefon, aadress jne). Me jälgime ja analüüsime pakkumisi, et vältida pettuseid ja reeglite rikkumisi.
Rikkumise puhul kasutajakonto blokeeritakse.

 

Teisi töid samas valdkonnas

Valdkonnas "Elektritööd" on 5 aktiivset tööd

Vana talu elektrisüsteemi uuendamine (kilp, pistikud, välivalgustus, EV valmidus)

Asukoht: Raplamaa, Suurekivi
Aega jäänud: 1p 16h
Tehtud pakkumisi: 5

Korteri remont

Asukoht: Tartumaa
Aega jäänud: 16h 26 min
Tehtud pakkumisi: 2

Vanemad teated:

Vaata kõiki

Sellel veebilehel kasutatakse küpsiseid. Kasutamist jätkates nõustute küpsiste kasutamisega.

Sulge
 
Minu pakkumine

Reeglid

Pakkumise kirjelduse väli on mõeldud pakkumise detailsemaks lahti kirjutamiseks. Pikema teksti mugavaks sisestamiseks klikkige kasti paremal ülaservas oleval ikoonil.
Pakkumist tehes on keelatud postitada enda kontaktandmeid (nimi, telefon, aadress jne). Me jälgime ja analüüsime pakkumisi, et vältida pettuseid ja reeglite rikkumisi.
Rikkumise puhul kasutajakonto blokeeritakse.