+ Lisa oma töö      

Otsid ehitajat "Geodeesia, kartograafia" valdkonnast?

Parima pakkumise ja teostaja leidmiseks lisa oma töö.

Geodeetiline alusplaan e. geoalus

ID 69449

488 vaatamist

Prindi

  • check Pakkumiste tegemine
    kuni 24.02.2022
  • check Võitja valik kuni
    03.03.2022
  • 3 Töö teostamine
    ja hinnang
Hanke lõpp: N, 24. veebruar, 2022
Maakond: Põlvamaa
Muu asula: Jantra
Tööde algus: T, 01. märts, 2022 (Soovituslik)
Tööde lõpp: T, 15. märts, 2022
Ehitusmaterjalid: Töö tegija poolt
Soovin pakkumisi: Summa kogu projektile

Töö sisu

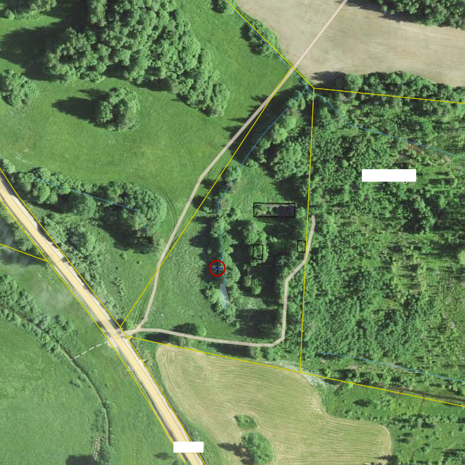
Vajalik koostada geoalus 1.6ha krundile, kuhu planeeritakse ehitada elumaja.
Asub Võrumaa/võru vald/Jantra küla
Töödega võib koheselt alustada kui ilm seda lubab

Võrguliitumisi(elekter/internet) ei ole.

Pildid, video ja failid

Hanke korraldaja: eraisik ID66731

Pakkumised

Pakkumisi kokku: 3

Ettevõte Summa Käibemaks Lisatud Vestlus
Kasutaja ikoon ID27884
Pakkuja profiil Väike nool paremale
590€ KM lisandub KM lisandub 21.02.2022 Vestlus (0)

Pakkumise kirjeldus:

- Digitaalne topo-geodeetiline mõõdistamine koos tehnovõrkudega mõõtkavas 1:500.
- Hind sisaldab kõiki kooskõlastusi, sh. tasulised kooskõlastused.
- Koostame digitaalsed ja graafilised maa-ala plaanid koos kinnistu piiridega ja tehnovõrkudega mõõtkavas 1:500.
- Mõõdistused vastavad Majandus ja taristuministri 14.märtsi 2016. aastal vastu và ... Rohkem

Kasutaja ikoon ID23415
Pakkuja profiil Väike nool paremale
500€ KM lisandub KM lisandub 21.02.2022 Vestlus (0)
Kasutaja ikoon ID17674
Pakkuja profiil Väike nool paremale
595€ KM lisandub KM lisandub 23.02.2022 Vestlus (0)

Pakkumise kirjeldus:

Tere,
Pakkumine sisaldab mõõdistamist, maa-ala plaani koostamist ning kõiki muid toiminguid ja kooskõlastusi, mis MKM määruse nr 34 (14.04.2016) vaja komplektse topo-geodeetilise uurimistöö teostamiseks. Sisaldab ka kooskõlastuste tasusid ja töö registreerimist omavalitsuses ning ehitisregistris.
Vajadusel erialane konsultatsioon geodeesia-, e ... Rohkem

Küsimused hanke korraldajale

Hanke korraldajale ei ole veel küsimusi esitatud.

Lisa küsimus

Lisa küsimus

Minu pakkumine

€

Reeglid

Pakkumise kirjelduse väli on mõeldud pakkumise detailsemaks lahti kirjutamiseks. Pikema teksti mugavaks sisestamiseks klikkige kasti paremal ülaservas oleval ikoonil.
Pakkumist tehes on keelatud postitada enda kontaktandmeid (nimi, telefon, aadress jne). Me jälgime ja analüüsime pakkumisi, et vältida pettuseid ja reeglite rikkumisi.
Rikkumise puhul kasutajakonto blokeeritakse.

 

Teisi töid samas valdkonnas

Valdkonnas "Geodeesia, kartograafia" on 2 aktiivset tööd

Soovin tellida geodeetilist alusplaani (geoalust)

Asukoht: Hiiumaa, Paluküla
Aega jäänud: 3p 11h
Tehtud pakkumisi: 4

no-img Pilt puudub

Geodeetilise alusplaani koostamine

Asukoht: Pärnumaa, Raespa
Aega jäänud: 1p 11h
Tehtud pakkumisi: 1

Vanemad teated:

Vaata kõiki

Sellel veebilehel kasutatakse küpsiseid. Kasutamist jätkates nõustute küpsiste kasutamisega.

Sulge
 
Minu pakkumine
€

Reeglid

Pakkumise kirjelduse väli on mõeldud pakkumise detailsemaks lahti kirjutamiseks. Pikema teksti mugavaks sisestamiseks klikkige kasti paremal ülaservas oleval ikoonil.
Pakkumist tehes on keelatud postitada enda kontaktandmeid (nimi, telefon, aadress jne). Me jälgime ja analüüsime pakkumisi, et vältida pettuseid ja reeglite rikkumisi.
Rikkumise puhul kasutajakonto blokeeritakse.