+ Lisa oma töö      

Otsid ehitajat "Geodeesia, kartograafia" valdkonnast?

Parima pakkumise ja teostaja leidmiseks lisa oma töö.

Topogeodeetiline alusplaan ehitisele

ID 68988

301 vaatamist

Prindi

  • check Pakkumiste tegemine
    kuni 02.02.2022
  • check Võitja valik kuni
    09.02.2022
  • 3 Töö teostamine
    ja hinnang
Hanke lõpp: K, 2. veebruar, 2022
Maakond: Põlvamaa
Muu asula: Ihamaru
Tööde algus: T, 01. veebruar, 2022 (Soovituslik)
Tööde lõpp: P, 13. veebruar, 2022 (Soovituslik)
Ehitusmaterjalid: Töö tegija poolt
Soovin pakkumisi: Summa kogu projektile

Töö sisu

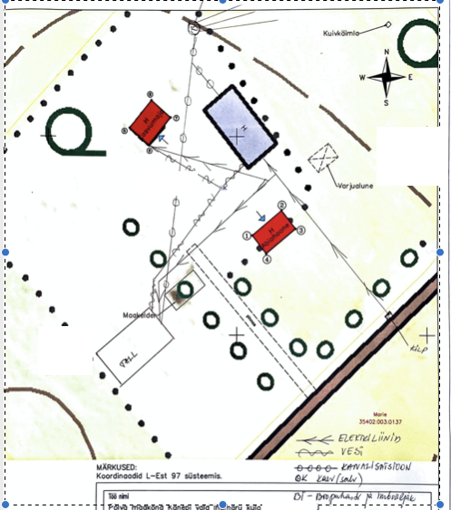
Geoalus ja trasside (vesi, kanal, elekter) joonised loomakasvatushoone projekteerimiseks. Hoone suurus 11x14 m.
Krundil elektrikilp ja kaev olemas, täpsemad plaanid sõnumites.

Asub Ihamaru küla, Kanepi vald, Põlva maakond.

Pildid, video ja failid

Hanke korraldaja: eraisik ID66936

Pakkumised

Pakkumisi kokku: 1

Ettevõte Summa Käibemaks Lisatud Vestlus
Kasutaja ikoon ID17674
Pakkuja profiil Väike nool paremale
595€ KM lisandub KM lisandub 01.02.2022 Vestlus (0)

Pakkumise kirjeldus:

Tere,
Pakkumine sisaldab kõiki toiminguid ja kooskõlastusi, mis MKM määruse nr 34 (14.04.2016) vaja komplektse topo-geodeetilise uurimistöö teostamiseks. Sisaldab kooskõlastuste tasusid ja töö registreerimist omavalitsuses ning ehitisregistris.
Vajadusel erialane konsultatsioon geodeesia-, ehituse ja maaküsimustes.

Küsimused hanke korraldajale

Hanke korraldajale ei ole veel küsimusi esitatud.

Lisa küsimus

Lisa küsimus

Minu pakkumine

Reeglid

Pakkumise kirjelduse väli on mõeldud pakkumise detailsemaks lahti kirjutamiseks. Pikema teksti mugavaks sisestamiseks klikkige kasti paremal ülaservas oleval ikoonil.
Pakkumist tehes on keelatud postitada enda kontaktandmeid (nimi, telefon, aadress jne). Me jälgime ja analüüsime pakkumisi, et vältida pettuseid ja reeglite rikkumisi.
Rikkumise puhul kasutajakonto blokeeritakse.

 

Teisi töid samas valdkonnas

Valdkonnas "Geodeesia, kartograafia" on 2 aktiivset tööd

Soovin tellida geodeetilist alusplaani (geoalust)

Asukoht: Hiiumaa, Paluküla
Aega jäänud: 3p 14h
Tehtud pakkumisi: 4

no-img Pilt puudub

Geodeetilise alusplaani koostamine

Asukoht: Pärnumaa, Raespa
Aega jäänud: 1p 14h
Tehtud pakkumisi: 1

Vanemad teated:

Vaata kõiki

Sellel veebilehel kasutatakse küpsiseid. Kasutamist jätkates nõustute küpsiste kasutamisega.

Sulge
 
Minu pakkumine

Reeglid

Pakkumise kirjelduse väli on mõeldud pakkumise detailsemaks lahti kirjutamiseks. Pikema teksti mugavaks sisestamiseks klikkige kasti paremal ülaservas oleval ikoonil.
Pakkumist tehes on keelatud postitada enda kontaktandmeid (nimi, telefon, aadress jne). Me jälgime ja analüüsime pakkumisi, et vältida pettuseid ja reeglite rikkumisi.
Rikkumise puhul kasutajakonto blokeeritakse.