+ Lisa oma töö      

Otsid ehitajat "Tänavakivide paigaldus" valdkonnast?

Parima pakkumise ja teostaja leidmiseks lisa oma töö.

Hange on lõppenud!

Võitjaks osutus kasutaja ID 23538

Parkla/sissesõidutee/hooviala rajamine

ID 59146

854 vaatamist

Prindi

  • check Pakkumiste tegemine
    kuni 28.04.2021
  • check Võitja valik kuni
    05.05.2021
  • 3 Töö teostamine
    ja hinnang
Hanke lõpp: K, 28. aprill, 2021
Maakond: Harjumaa
Linn: Tallinn
Tööde algus: R, 30. aprill, 2021 (Soovituslik)
Tööde lõpp: N, 27. mai, 2021 (Soovituslik)
Ehitusmaterjalid: Töö tegija poolt
Soovin pakkumisi: Summa kogu projektile

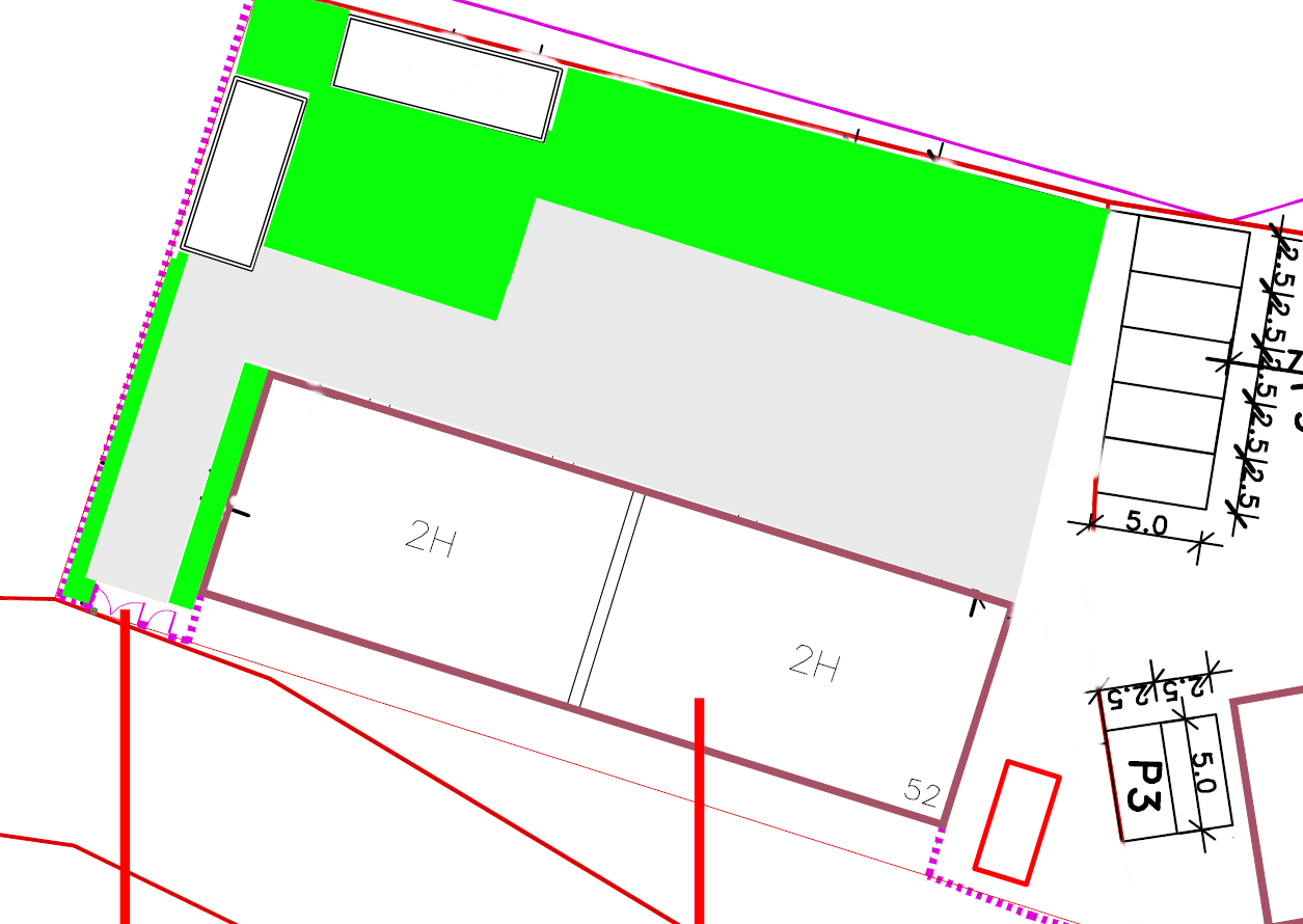
Töö sisu

1. Parkla/sissesõidutee/hooviala rajamine

Pinnase väljakaeve ja utiliseerimine 400m2
Killustikaluse ehitustööd h=25cm 400m2
Tänavakivide tarne ja paigaldus (hall, 60mm, nt nunnakivi ) 400m2
Äärekivide paigaldustööd ca 70 jm

2. Pesuköök
Lammutada paekivist pesuköök mõõtudega ca 6x6 m. Kõrgus 2,5 m

Mahud on orienteeruvad, vaja täpsustada enne pakkumise tegemist. Hoovis on 2 kanalisatsioonikaevu, mille kaaned vaja sobitada tänavakivile vastavaks.

Tänavakivi paigaldatakse joonisel olevale hallile alale. Haljastust ei ole vaja hetkel pakkuda. Orientiiriks: hoone pikkus 35 m ja laius 9,5 m

Pildid, video ja failid

Hanke korraldaja: korteriühistu ID56592

Pakkumised

Pakkumisi kokku: 5

Ettevõte Summa Käibemaks Lisatud Vestlus
Kasutaja ikoon ID28408
Pakkuja profiil Väike nool paremale
28 500€ Ikoon kell KM lisandub KM lisandub 26.04.2021 Vestlus (0)
Kasutaja ikoon ID60083
Pakkuja profiil Väike nool paremale
26 500€ Ei ole KMKR Ei ole KMKR 27.04.2021 Vestlus (0)

Pakkumise kirjeldus:

Tere, puhtust hoidvad ja töökas meeskond aitab teid. Lepingud ja garantii. Alustamine 7-10 päeva jooksul peale meie võitjaks kuulutamise ja lepingu sõlmimist, paraku hiljem pole meil aega!
Omame häid hinnanguid!!
Kõikidele materjalidele sertifikaat!!

Ilusat kevadet!!

Kasutaja ikoon ID21484
Pakkuja profiil Väike nool paremale
21 000€ KM lisandub KM lisandub 27.04.2021 Vestlus (4)

Pakkumise kirjeldus:

Tere
Hind sisaldab väljakaevet, killustikaluse rajamist, tasanduskihti, nunnakivi, tehnikat ja tööd kuni 400 m2 ning äärekivi, betoon ja paigaldust kuni 70 jm.

Tööle garantii, kogemus 24 aastat.

Lugupidamisega.

Kasutaja ikoon ID23538
Pakkuja profiil Väike nool paremale
20 300€ Sisaldab KM Sisaldab KM 28.04.2021 Vestlus (0)

Pakkumise kirjeldus:

Tere
Hind sisaldab väljakaevet, äravedu ,killustikaluse rajamist, nunnakivi, tehnikat ja tööd kuni 400 m2 Äärekivi, paigaldust kuni 70 jm..
Pesuköögi lammutus ja vajadusel äravedu. Leping, garantii 24 kuud.
Ehitus ettevõttena 16 aastat tegevust.

Kasutaja ikoon ID55769
Pakkuja profiil Väike nool paremale
21 000€ Sisaldab KM Sisaldab KM 28.04.2021 Vestlus (0)

Pakkumise kirjeldus:

Tere,
Hind kogu tööde ja materjali mahule ning hoone lammutus ja utiliseerimine.
Töö lepinguga garantiiga.
Tasumine osade kaupa.
Tervitades,

Küsimused hanke korraldajale

Hanke korraldajale ei ole veel küsimusi esitatud.

Lisa küsimus

Lisa küsimus

Minu pakkumine

Reeglid

Pakkumise kirjelduse väli on mõeldud pakkumise detailsemaks lahti kirjutamiseks. Pikema teksti mugavaks sisestamiseks klikkige kasti paremal ülaservas oleval ikoonil.
Pakkumist tehes on keelatud postitada enda kontaktandmeid (nimi, telefon, aadress jne). Me jälgime ja analüüsime pakkumisi, et vältida pettuseid ja reeglite rikkumisi.
Rikkumise puhul kasutajakonto blokeeritakse.

 

Teisi töid samas valdkonnas

Valdkonnas "Tänavakivide paigaldus" on 4 aktiivset tööd

Kõnnitee remont

Asukoht: Harjumaa
Aega jäänud: 4p 21h
Tehtud pakkumisi: 3

Tänavakivide paigaldus

Asukoht: Harjumaa, Tallinn
Aega jäänud: 4p 21h
Tehtud pakkumisi: 1

Vanemad teated:

Vaata kõiki

Sellel veebilehel kasutatakse küpsiseid. Kasutamist jätkates nõustute küpsiste kasutamisega.

Sulge
 
Minu pakkumine

Reeglid

Pakkumise kirjelduse väli on mõeldud pakkumise detailsemaks lahti kirjutamiseks. Pikema teksti mugavaks sisestamiseks klikkige kasti paremal ülaservas oleval ikoonil.
Pakkumist tehes on keelatud postitada enda kontaktandmeid (nimi, telefon, aadress jne). Me jälgime ja analüüsime pakkumisi, et vältida pettuseid ja reeglite rikkumisi.
Rikkumise puhul kasutajakonto blokeeritakse.