+ Lisa oma töö      

Otsid ehitajat "Geodeesia, kartograafia" valdkonnast?

Parima pakkumise ja teostaja leidmiseks lisa oma töö.

Katastriüksuste piiride kindlaks tegemise

ID 58362

405 vaatamist

Prindi

  • check Pakkumiste tegemine
    kuni 08.04.2021
  • check Võitja valik kuni
    15.04.2021
  • 3 Töö teostamine
    ja hinnang
Hanke lõpp: N, 8. aprill, 2021
Maakond: Viljandimaa
Muu asula: Rimmu
Tööde algus: E, 12. aprill, 2021 (Soovituslik)
Tööde lõpp: R, 30. aprill, 2021 (Soovituslik)
Ehitusmaterjalid: Töö tellija poolt
Soovin pakkumisi: Summa kogu projektile

Töö sisu

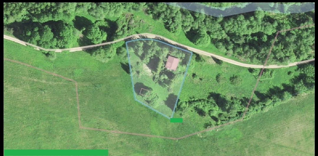
Katastriüksuste piiride kindlaks tegemine


Viljandi maakond, Mulgi vald

Pildid, video ja failid

Hanke korraldaja: eraisik ID51881

Pakkumised

Pakkumisi kokku: 1

Ettevõte Summa Käibemaks Lisatud Vestlus
Kasutaja ikoon ID22229
Pakkuja profiil Väike nool paremale
864€ Sisaldab KM Sisaldab KM 06.04.2021 Vestlus (0)

Pakkumise kirjeldus:

Tehakse Viljandimaal Mulgi vallas Rimmu külas Okkaru katastriüksuse piiride kontrollmõõdistus vastavalt lähteandmetele ja kehtivatele õigusaktidele. Töid teostab litsentseeritud maakorraldaja.

Küsimused hanke korraldajale

Hanke korraldajale ei ole veel küsimusi esitatud.

Lisa küsimus

Lisa küsimus

Minu pakkumine

Reeglid

Pakkumise kirjelduse väli on mõeldud pakkumise detailsemaks lahti kirjutamiseks. Pikema teksti mugavaks sisestamiseks klikkige kasti paremal ülaservas oleval ikoonil.
Pakkumist tehes on keelatud postitada enda kontaktandmeid (nimi, telefon, aadress jne). Me jälgime ja analüüsime pakkumisi, et vältida pettuseid ja reeglite rikkumisi.
Rikkumise puhul kasutajakonto blokeeritakse.

 

Teisi töid samas valdkonnas

Valdkonnas "Geodeesia, kartograafia" on 2 aktiivset tööd

Soovin tellida geodeetilist alusplaani (geoalust)

Asukoht: Hiiumaa, Paluküla
Aega jäänud: 3p 15h
Tehtud pakkumisi: 4

no-img Pilt puudub

Geodeetilise alusplaani koostamine

Asukoht: Pärnumaa, Raespa
Aega jäänud: 1p 15h
Tehtud pakkumisi: 1

Vanemad teated:

Vaata kõiki

Sellel veebilehel kasutatakse küpsiseid. Kasutamist jätkates nõustute küpsiste kasutamisega.

Sulge
 
Minu pakkumine

Reeglid

Pakkumise kirjelduse väli on mõeldud pakkumise detailsemaks lahti kirjutamiseks. Pikema teksti mugavaks sisestamiseks klikkige kasti paremal ülaservas oleval ikoonil.
Pakkumist tehes on keelatud postitada enda kontaktandmeid (nimi, telefon, aadress jne). Me jälgime ja analüüsime pakkumisi, et vältida pettuseid ja reeglite rikkumisi.
Rikkumise puhul kasutajakonto blokeeritakse.