+ Lisa oma töö      

Otsid ehitajat "Teede ehitus, teede korrashoid" valdkonnast?

Parima pakkumise ja teostaja leidmiseks lisa oma töö.

Tee remont

ID 131699

697 vaatamist

Prindi

  • check Pakkumiste tegemine
    kuni 27.03.2026
  • check Võitja valik kuni
    06.04.2026
  • 3 Töö teostamine
    ja hinnang
Hanke lõpp: R, 27. märts, 2026
Maakond: Jõgevamaa
Muu asula: Lahavere
Tööde lõpp: Kokkuleppel
Ehitusmaterjalid: Töö tegija poolt
Soovin pakkumisi: Summa kogu projektile

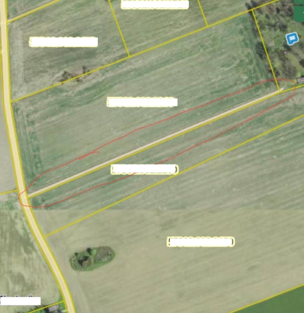
Töö sisu

Pinnase tasandamine ja vajadusel vana kihi eemaldus
Aluspinna ettevalmistus
Killustiku paigaldus ja tihendamine
Vajadusel geotekstiili paigaldus
Tee profileerimine ja kallete korrigeerimine vee ärajuhtimiseks

Pildid, video ja failid

Hanke korraldaja: eraisik ID97471

Pakkumised

Pakkumisi kokku: 2

Ettevõte Summa Käibemaks Lisatud Vestlus
Kasutaja ikoon ID94954
Pakkuja profiil Väike nool paremale
11 200€ KM lisandub KM lisandub 25.03.2026 Vestlus (0)

Pakkumise kirjeldus:

Tere

Edastan pakkumise:
Killustikalus 12cm
freesasfalt kate 6cm (paigaldus asfaldilaoturiga)
Kui on pehmeid kohti, siis sinna paigaldame geotektstiili.

Kasutaja ikoon ID37911
Pakkuja profiil Väike nool paremale
8 100€ Ei ole KMKR Ei ole KMKR 27.03.2026 Vestlus (0)

Pakkumise kirjeldus:

Tere! Pakkumine teekatte tasandamisele, killustiku paigaldusele ja profileerimisele. Huvi korral täpsem lahtikirjutus vestluses. Parimat!

Küsimused hanke korraldajale

Küsimus: private ID96769   24.03.2026 13:48
Pikkus,laius?

Teavita reeglite rikkumisest

Korraldaja vastus: 25.03.2026 12:18

Pikkus 500 m laius 3 m.

Teavita reeglite rikkumisest

Küsimus: private ID54184   25.03.2026 10:31
Tere!
1. Kui pikk ja lai on remonditav teelõik (m² või jm)?
2. Kui paks peab olema paigaldatav killustikukiht ning millist fraktsiooni on nõutud?
3. Kas olemasolev pinnas on kandevõimeline või on teada pehmeid/läbijäävaid alasid, mis vajavad täiendavat stabiliseerimist või väljakaevet?
4. Kas geotekstiili paigaldus on ette nähtud kogu alale või ainult probleemsetesse lõikudesse, ning milline tugevusklass on nõutud?
5. Milline on tee kasutuskoormus (nt ainult sõiduautod või ka rasketehnika/liiklus)?

Teavita reeglite rikkumisest

Korraldaja vastus: 25.03.2026 12:20

1. 500 m ja 3 m lai.
2. Teenuse pakkuja võiks ise sobiva materjali välja pakkuda.
3. Tee on kandevõimeline
4. Geodekstiil vajadusel.
5. Enamasti sõiduautod. Harva rasketehnika.

Teavita reeglite rikkumisest

Lisa küsimus

Lisa küsimus

Minu pakkumine

Reeglid

Pakkumise kirjelduse väli on mõeldud pakkumise detailsemaks lahti kirjutamiseks. Pikema teksti mugavaks sisestamiseks klikkige kasti paremal ülaservas oleval ikoonil.
Pakkumist tehes on keelatud postitada enda kontaktandmeid (nimi, telefon, aadress jne). Me jälgime ja analüüsime pakkumisi, et vältida pettuseid ja reeglite rikkumisi.
Rikkumise puhul kasutajakonto blokeeritakse.

 

Teisi töid samas valdkonnas

Valdkonnas "Teede ehitus, teede korrashoid" on 4 aktiivset tööd

no-img Pilt puudub

Kruusatee tasandamine ja uue kihi pealepanek

Asukoht: Võrumaa, Võru
Aega jäänud: 1p
Tehtud pakkumisi: 1

Sissesõidu tee ehitus

Asukoht: Raplamaa, Märjamaa
Aega jäänud: 3p
Tehtud pakkumisi: 1

Vanemad teated:

Vaata kõiki

Sellel veebilehel kasutatakse küpsiseid. Kasutamist jätkates nõustute küpsiste kasutamisega.

Sulge
 
Minu pakkumine

Reeglid

Pakkumise kirjelduse väli on mõeldud pakkumise detailsemaks lahti kirjutamiseks. Pikema teksti mugavaks sisestamiseks klikkige kasti paremal ülaservas oleval ikoonil.
Pakkumist tehes on keelatud postitada enda kontaktandmeid (nimi, telefon, aadress jne). Me jälgime ja analüüsime pakkumisi, et vältida pettuseid ja reeglite rikkumisi.
Rikkumise puhul kasutajakonto blokeeritakse.