+ Lisa oma töö      

Otsid ehitajat "Elektritööd" valdkonnast?

Parima pakkumise ja teostaja leidmiseks lisa oma töö.

Maakaabli ümberpaigutamine 31m (Arukülas)

ID 124712

955 vaatamist

Prindi

  • check Pakkumiste tegemine
    kuni 12.10.2025
  • check Võitja valik kuni
    19.10.2025
  • 3 Töö teostamine
    ja hinnang
Hanke lõpp: P, 12. oktoober, 2025
Maakond: Harjumaa
Muu asula: Aruküla
Tööde lõpp: Kokkuleppel
Ehitusmaterjalid: Töö tegija poolt
Soovin pakkumisi: Tüki- või ühikuhinda

Töö sisu

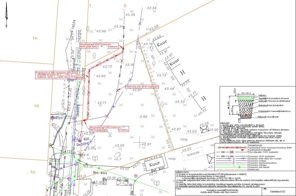
Elektrilevile kuuluva keskpinge maakaabli ümberpaigutamine tellija kinnistu piires. Olemasolev õlikaabel läbib krunti. See tuleb mõlemast otsast siirdemuhvide abil üle viia uuele kaablile. Olemasolev kaabel on väidetavalt töös ja pingestatud, st tuleb korraldada Elektrilevi poolne väljalülitamine tööde (ühenduste teostamise) ajaks.
Uue kaabli jaoks on vaja kaevata standardsügavusega kraav, mis tuleb hiljem kinni ajada, kuid haljastust rajama/ taastama ei pea. Kogu kaeveala asub haljasalal tellija kinnistu piires. Kindlasti esineb puujuuri, mida ei pea säästma, kuna antud puud lähevad likvideerimisele. Pinnas: ca 0,5m mulda, edasi savimöllmoreen. Hankedokumentidele on lisatud läheduses tehtud geoloogilise uuringu info.
Võimalik on ka selline skeem, kus pakkuja teeb vaid otsesed elektritööd, st tellija ise korraldab kaevetööd.

Mõistagi on olemas korrektne projektdokumentatsioon dwg ja pdf formaatides. Hetkel on siia lisatud sellised tõmmised, kus (hange.ee reeglite kohaselt) on eemaldatud isiku- ja aadressiandmed. Projektdokumentatsioon on Elektrilevi poolt heaks kiidetud ja EPP keskkonnas olemas. Samuti on olemas kehtiv geoalus. Ühtki täiendavat kooskõlastust ei tohiks vaja olla, kuna kogu tegevus toimub tellija kinnistul ja ei kattu muude kaitsevöönditega.
Tellija poolest võib alustada kasvõi kohe. Soovitavalt võiks töö olla valmis oktoobri lõpuks.
Tellija sooviks pakkumises näha eraldi materjalide ja töö maksumusi.

Pildid, video ja failid

Hanke korraldaja: eraisik ID83683

Pakkumised

Pakkumisi kokku: 1

Ettevõte Summa Käibemaks Lisatud Vestlus
Kasutaja ikoon ID89241
Pakkuja profiil Väike nool paremale
7 395€ KM lisandub KM lisandub 12.10.2025 Vestlus (0)

Küsimused hanke korraldajale

Küsimus: private ID93998   08.10.2025 20:51
Töö vajab kolmepoolset lepingut ettevõttega mis on ELV poolt heaks kiidetud, minu teada.

Teavita reeglite rikkumisest

Korraldaja vastus: 09.10.2025 09:08

Tere, jah, ma usun, et nii see on. Ühenduste tegemine liinil on kindlasti Elektrilevi poolt reguleeritud ja kontrollitud tegevus. Loodan, et potentsiaalsed pakkujad teavad mida vaja on, sh et kas nad on Elektrilevi poolt aktsepteeritud.

Teavita reeglite rikkumisest

Lisa küsimus

Lisa küsimus

Minu pakkumine

Reeglid

Pakkumise kirjelduse väli on mõeldud pakkumise detailsemaks lahti kirjutamiseks. Pikema teksti mugavaks sisestamiseks klikkige kasti paremal ülaservas oleval ikoonil.
Pakkumist tehes on keelatud postitada enda kontaktandmeid (nimi, telefon, aadress jne). Me jälgime ja analüüsime pakkumisi, et vältida pettuseid ja reeglite rikkumisi.
Rikkumise puhul kasutajakonto blokeeritakse.

 

Teisi töid samas valdkonnas

Valdkonnas "Elektritööd" on 5 aktiivset tööd

Vana talu elektrisüsteemi uuendamine (kilp, pistikud, välivalgustus, EV valmidus)

Asukoht: Raplamaa, Suurekivi
Aega jäänud: 1p 18h
Tehtud pakkumisi: 5

Korteri remont

Asukoht: Tartumaa
Aega jäänud: 18h 25 min
Tehtud pakkumisi: 2

Vanemad teated:

Vaata kõiki

Sellel veebilehel kasutatakse küpsiseid. Kasutamist jätkates nõustute küpsiste kasutamisega.

Sulge
 
Minu pakkumine

Reeglid

Pakkumise kirjelduse väli on mõeldud pakkumise detailsemaks lahti kirjutamiseks. Pikema teksti mugavaks sisestamiseks klikkige kasti paremal ülaservas oleval ikoonil.
Pakkumist tehes on keelatud postitada enda kontaktandmeid (nimi, telefon, aadress jne). Me jälgime ja analüüsime pakkumisi, et vältida pettuseid ja reeglite rikkumisi.
Rikkumise puhul kasutajakonto blokeeritakse.