+ Lisa oma töö      

Otsid ehitajat "Geodeesia, kartograafia" valdkonnast?

Parima pakkumise ja teostaja leidmiseks lisa oma töö.

Hange on lõppenud!

Võitjaks osutus kasutaja ID 43086

Korraldaja hinnang tehtud tööle

5.0
21.10.2025
Töökiirus: 12345
Kvaliteet: 12345
Hind: 12345

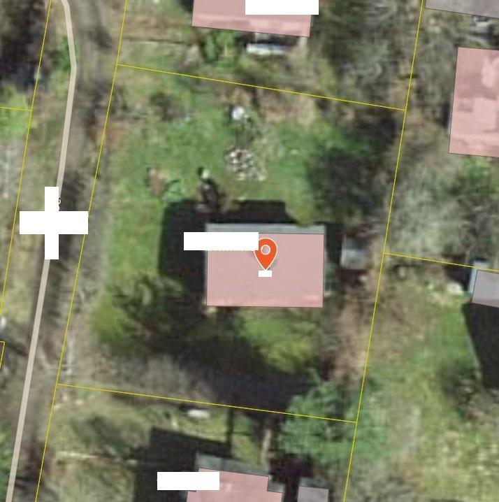
Geodeetiline alusplaan

ID 124119

908 vaatamist

Prindi

  • check Pakkumiste tegemine
    kuni 26.09.2025
  • check Võitja valik kuni
    26.09.2025
  • 3 Töö teostamine
    ja hinnang
Hanke lõpp: R, 26. september, 2025
Maakond: Harjumaa
Muu asula: Vääna-Jõesuu
Tööde lõpp: Kokkuleppel
Ehitusmaterjalid: Töö tegija poolt
Soovin pakkumisi: Summa kogu projektile

Töö sisu

Geodeetiline alusplaan uue elamu projekteerimise tarbeks. Krundi suurus 813 m2.

Pildid, video ja failid

Hanke korraldaja: eraisik ID93985

Pakkumised

Pakkumisi kokku: 4

Ettevõte Summa Käibemaks Lisatud Vestlus
Kasutaja ikoon ID17674
Pakkuja profiil Väike nool paremale
430€ KM lisandub KM lisandub 24.09.2025 Vestlus (0)

Pakkumise kirjeldus:

Geodeetilise plaani mõõdistamine ja koostamine vastavalt MKM määrusele nr 34 (14.04.2016), kinnistu ja lähiala, sh külgnev tänav, ca 2000 m2 ulatuses
Töö registreeritakse ka omavalitsuses ning kooskõlastatakse võrguvaldajatega.
Töö teostamine ca 2...3 nädala jooksul tellimusest.
Vajadusel erialane konsultatsioon.
Hind sisaldab ka hange.ee ... Rohkem

Kasutaja ikoon ID72067
Pakkuja profiil Väike nool paremale
320€ Ei ole KMKR Ei ole KMKR 24.09.2025 Vestlus (0)

Pakkumise kirjeldus:

Koostame alusplaani 1,5 nädala jooksul

Kasutaja ikoon ID75544
Pakkuja profiil Väike nool paremale
550€ Ei ole KMKR Ei ole KMKR 24.09.2025 Vestlus (0)
Kasutaja ikoon ID43086
Pakkuja profiil Väike nool paremale
295€ Ei ole KMKR Ei ole KMKR 24.09.2025 Vestlus (1)

Pakkumise kirjeldus:

Tere!
Hinnapakkumine sisaldab:
- Hind sisaldab ka hange.ee teenustasu ja kooskõlastuste tasusid.
- Töö teostamine ca 1..3 nädala jooksul tellimusest.
- Koostame digitaalsed ja graafilised maa-ala plaanid koos kinnistu piiridega ja tehnovõrkudega mõõtkavas 1:500.
- Mõõdistused vastavad Majandus ja taristuministri 14.märtsi 2016. aastal vastu và ... Rohkem

Küsimused hanke korraldajale

Hanke korraldajale ei ole veel küsimusi esitatud.

Lisa küsimus

Lisa küsimus

Minu pakkumine

€

Reeglid

Pakkumise kirjelduse väli on mõeldud pakkumise detailsemaks lahti kirjutamiseks. Pikema teksti mugavaks sisestamiseks klikkige kasti paremal ülaservas oleval ikoonil.
Pakkumist tehes on keelatud postitada enda kontaktandmeid (nimi, telefon, aadress jne). Me jälgime ja analüüsime pakkumisi, et vältida pettuseid ja reeglite rikkumisi.
Rikkumise puhul kasutajakonto blokeeritakse.

 

Teisi töid samas valdkonnas

Valdkonnas "Geodeesia, kartograafia" on 2 aktiivset tööd

Soovin tellida geodeetilist alusplaani (geoalust)

Asukoht: Hiiumaa, Paluküla
Aega jäänud: 3p 20h
Tehtud pakkumisi: 4

no-img Pilt puudub

Geodeetilise alusplaani koostamine

Asukoht: Pärnumaa, Raespa
Aega jäänud: 1p 20h
Tehtud pakkumisi: 1

Vanemad teated:

Vaata kõiki

Sellel veebilehel kasutatakse küpsiseid. Kasutamist jätkates nõustute küpsiste kasutamisega.

Sulge
 
Minu pakkumine
€

Reeglid

Pakkumise kirjelduse väli on mõeldud pakkumise detailsemaks lahti kirjutamiseks. Pikema teksti mugavaks sisestamiseks klikkige kasti paremal ülaservas oleval ikoonil.
Pakkumist tehes on keelatud postitada enda kontaktandmeid (nimi, telefon, aadress jne). Me jälgime ja analüüsime pakkumisi, et vältida pettuseid ja reeglite rikkumisi.
Rikkumise puhul kasutajakonto blokeeritakse.