+ Lisa oma töö      

Otsid ehitajat "Geodeesia, kartograafia" valdkonnast?

Parima pakkumise ja teostaja leidmiseks lisa oma töö.

Geodeesia

ID 110721

876 vaatamist

Prindi

  • check Pakkumiste tegemine
    kuni 28.02.2025
  • check Võitja valik kuni
    07.03.2025
  • 3 Töö teostamine
    ja hinnang
Hanke lõpp: R, 28. veebruar, 2025
Maakond: Harjumaa
Muu asula: Tiskre
Tööde lõpp: Kokkuleppel
Ehitusmaterjalid: Töö tellija poolt
Soovin pakkumisi: Summa kogu projektile

Töö sisu

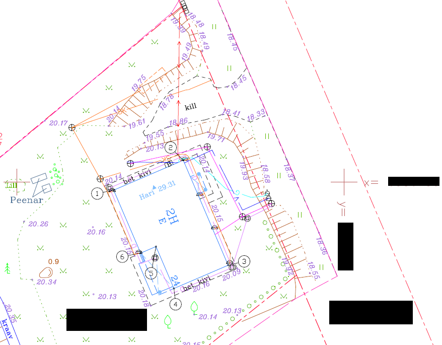
Geodeesia pärast majaehitust. Vajalik on täiendada tugiseina ja treppide mõõtmeid. Ja tundub, et maja kõrgust pole veel mõõtud. Ülejäänud mõõdud võeti ja lisati joonistele.

Pildid, video ja failid

Hanke korraldaja: eraisik ID68746

Pakkumised

Pakkumisi kokku: 4

Ettevõte Summa Käibemaks Lisatud Vestlus
Kasutaja ikoon ID75544
Pakkuja profiil Väike nool paremale
360€ Ei ole KMKR Ei ole KMKR 26.02.2025 Vestlus (0)

Pakkumise kirjeldus:

Koostame korraliku ehitusjärgse geodeetilise plaani krundile vastavalt kehtivale seadusandlusele ning nõuetele. Esitame töö kohalikule omavalitsusele.

Kasutaja ikoon ID17674
Pakkuja profiil Väike nool paremale
250€ KM lisandub KM lisandub 26.02.2025 Vestlus (0)

Pakkumise kirjeldus:

Trepi ja seina muudatuse mõõdistamine ning olemasoleva dwg-joonise korrigeerimine. Töö võimalik teha märtsi 1. nädala jooksul. Hind sisaldab ka hange.ee teenustasu.

Kasutaja ikoon ID52293
Pakkuja profiil Väike nool paremale
600€ Sisaldab KM Sisaldab KM 26.02.2025 Vestlus (0)
Kasutaja ikoon ID31409
Pakkuja profiil Väike nool paremale
400€ Sisaldab KM Sisaldab KM 28.02.2025 Vestlus (0)

Küsimused hanke korraldajale

Küsimus: private ID17674   26.02.2025 09:42
Tere,
Kas tuleb mõõtmiste alusel vaid korrigeerida olemasolevaid jooniseid või teha uued, ehitusjärgse mõõdistuse joonised?
Esimesel juhul läheb töö tegemiseks vaja olemasolevaid jooniseid muudetaval kujul (nt. dwg-formaadis).

Teavita reeglite rikkumisest

Korraldaja vastus: 26.02.2025 09:47

Tere. Täiendage jooniseid pärast ehitamist. Märtsis 2023 tehti mõõdud, kuid lisati tugisein ja trepp parklast (ehitatud suvel 2023). Dwg muidugi on olemas

Teavita reeglite rikkumisest

Küsimus: private ID17674   26.02.2025 10:07
Tegin pakkumise ära, unustasin seal mainimata, et hoone kõrguse mõõtmine kuulub ka hinna sisse

Teavita reeglite rikkumisest

Korraldaja vastus: 27.02.2025 08:37

aitäh

Teavita reeglite rikkumisest

Lisa küsimus

Lisa küsimus

Minu pakkumine

Reeglid

Pakkumise kirjelduse väli on mõeldud pakkumise detailsemaks lahti kirjutamiseks. Pikema teksti mugavaks sisestamiseks klikkige kasti paremal ülaservas oleval ikoonil.
Pakkumist tehes on keelatud postitada enda kontaktandmeid (nimi, telefon, aadress jne). Me jälgime ja analüüsime pakkumisi, et vältida pettuseid ja reeglite rikkumisi.
Rikkumise puhul kasutajakonto blokeeritakse.

 

Teisi töid samas valdkonnas

Valdkonnas "Geodeesia, kartograafia" on 2 aktiivset tööd

Soovin tellida geodeetilist alusplaani (geoalust)

Asukoht: Hiiumaa, Paluküla
Aega jäänud: 3p 19h
Tehtud pakkumisi: 4

no-img Pilt puudub

Geodeetilise alusplaani koostamine

Asukoht: Pärnumaa, Raespa
Aega jäänud: 1p 19h
Tehtud pakkumisi: 1

Vanemad teated:

Vaata kõiki

Sellel veebilehel kasutatakse küpsiseid. Kasutamist jätkates nõustute küpsiste kasutamisega.

Sulge
 
Minu pakkumine

Reeglid

Pakkumise kirjelduse väli on mõeldud pakkumise detailsemaks lahti kirjutamiseks. Pikema teksti mugavaks sisestamiseks klikkige kasti paremal ülaservas oleval ikoonil.
Pakkumist tehes on keelatud postitada enda kontaktandmeid (nimi, telefon, aadress jne). Me jälgime ja analüüsime pakkumisi, et vältida pettuseid ja reeglite rikkumisi.
Rikkumise puhul kasutajakonto blokeeritakse.