+ Lisa oma töö      

Otsid ehitajat "Teede ehitus, teede korrashoid" valdkonnast?

Parima pakkumise ja teostaja leidmiseks lisa oma töö.

Hange on lõppenud!

Võitjaks osutus kasutaja ID 37911

Korraldaja hinnang tehtud tööle

4.3
07.09.2024
Töökiirus: 12345
Kvaliteet: 12345
Hind: 12345

Töö oli korralik aga soovida jättis arusaamine kus mida konkreetselt teha. - Ahti S.

Näita pilte (1) Peida pildid

Enne:

Pärast:

  • 20240814_175256.jpg

Tee ehitus (laiendus)

ID 101218

629 vaatamist

Prindi

  • check Pakkumiste tegemine
    kuni 05.08.2024
  • check Võitja valik kuni
    12.08.2024
  • 3 Töö teostamine
    ja hinnang
Hanke lõpp: E, 5. august, 2024
Maakond: Tartumaa
Tööde lõpp: Kokkuleppel
Ehitusmaterjalid: Töö tegija poolt
Soovin pakkumisi: Summa kogu projektile

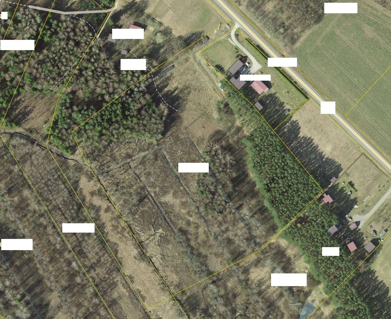
Töö sisu

Soov oleks olemas olevat teed laiendada ja osaliselt ümber paigutada.
Olemas oleval teel on täide (0,7x4 m põhiliselt ehitusjäägid mida saaks kasutada uuel teel).
Lühema rohelise joonega on laiendus 2m mis tuleks juurde ehitada.
Pikem roheline oleks uue tee asukoht (kaarjas ),kõrguste vahe (käänakust alates) on umbes 3m .
Mis on kallaku serval. Tee laius peaks olema min. 4m.

Pildid, video ja failid

Hanke korraldaja: eraisik ID81038

Pakkumised

Pakkumisi kokku: 4

Ettevõte Summa Käibemaks Lisatud Vestlus
Kasutaja ikoon ID50847
Pakkuja profiil Väike nool paremale
5 200€ Ei ole KMKR Ei ole KMKR 31.07.2024 Vestlus (0)

Pakkumise kirjeldus:

Tere!
Pakkumine sisaldab;
Väljakaevet 0,5 m
Killustiku tagasi täidet(fraksioon 16/32)
Pealiskihiks silumiseks freespuru või peenkild
Tihendamist
Väljakaeve materjali planeerimist.

Kasutaja ikoon ID37911
Pakkuja profiil Väike nool paremale
4 850€ Ei ole KMKR Ei ole KMKR 01.08.2024 Vestlus (6)

Pakkumise kirjeldus:

Tere! Pakkumine vastavalt kirjeldusele. Väljakaeve sügavus 0,5m, täide jämekild, pealiskihiks peenkild. Parimat!

Kasutaja ikoon ID77816
Pakkuja profiil Väike nool paremale
8 860€ Ei ole KMKR Ei ole KMKR 04.08.2024 Vestlus (0)

Pakkumise kirjeldus:

Tere, pakkumine vastavalt kirjeldusele.
Täpsem info vestluses.


Lugupidamisega

Kasutaja ikoon ID72452
Pakkuja profiil Väike nool paremale
8 505€ KM lisandub KM lisandub 05.08.2024 Vestlus (0)

Pakkumise kirjeldus:

Tere,

pakkumine sisaldab:
-Teeküna väljakaevet ja pinnase planeerimist objektil.
-Aluspõhja ehitust liivaga
-Kõvakatte ehitust segukillustikuga


Lugupidamisega

Küsimused hanke korraldajale

Küsimus: private ID50847   30.07.2024 14:25
Tere!
Kui sügavat väljakaevet teha vaja ja mis materjale lisada hiljem vaja?

Teavita reeglite rikkumisest

Korraldaja vastus: 30.07.2024 18:43

TERE
Väljakaeve võiks olla 0,5...0,7m ja selle asemele võiks panna täide(näiteks ehitus jäägid) ning kõige peale mingi kiht keskmist kildu või purustatud asfaldit (mõte on selles ,et saaks selle tee pisut laugema muidu ei saa maja ehitusele ligi.

Teavita reeglite rikkumisest

Küsimus: private ID50847   30.07.2024 21:53
Tere!
Kas väljakaevest tulnud materjali saab kohapeale laiali ajada?

Teavita reeglite rikkumisest

Korraldaja vastus: 31.07.2024 08:47

TERE
Jah kindlasti (seda oleks vaja väiksemate lohkude täiteks või serva tugevtamiseks).
Materjali ei ole vaja kuhugi ära vedata pigem juurde tuua.

Teavita reeglite rikkumisest

Küsimus: private ID50847   31.07.2024 11:22
Tere!
Oleks vaja ka teada veomaakaugust.Nt Tõrvandist teie juurde?

Teavita reeglite rikkumisest

Korraldaja vastus: 31.07.2024 13:29

Tere.
See vahemaa oleks kusagil läbi Tartu 30km aga Kukke(või Kukkemetsa) karjäär oleks umbes 8km Vedu juures.

Teavita reeglite rikkumisest

Küsimus: private ID37911   31.07.2024 23:17
Tere! Pakkumise tegemiseks palun küla nime. Veokauguse ja karjääri valikuks vajalik.

Teavita reeglite rikkumisest

Korraldaja vastus: 01.08.2024 01:54

TERE

Tartu maa,Kukkulinna küla , Kuuse talu (Kobratu karjäär peaks ka lähedal olema ).

Teavita reeglite rikkumisest

Küsimus: private ID37911   01.08.2024 07:56
Tere! Kas ma saan õigesti aru, et laiendusosa ca 23m x 2m ja uus tee ca 46m x 4m, sügavus 0,5m? Kas enamuse väljakaevest saab planeerida tee kõrvale või tuleb mingi osa teisaldada kaugemale?

Teavita reeglite rikkumisest

Korraldaja vastus: 01.08.2024 09:18

Tere

Jah kõik on õige (meetrite kohapealt) ja väljakaeve (seda oleks vaja väiksemate lohkude täiteks või serva tugevtamiseks kõik saab koppa raadiuses ära paigutada).
Materjali ei ole vaja kuhugi ära vedata pigem juurde tuua.

Teavita reeglite rikkumisest

Lisa küsimus

Lisa küsimus

Minu pakkumine

Reeglid

Pakkumise kirjelduse väli on mõeldud pakkumise detailsemaks lahti kirjutamiseks. Pikema teksti mugavaks sisestamiseks klikkige kasti paremal ülaservas oleval ikoonil.
Pakkumist tehes on keelatud postitada enda kontaktandmeid (nimi, telefon, aadress jne). Me jälgime ja analüüsime pakkumisi, et vältida pettuseid ja reeglite rikkumisi.
Rikkumise puhul kasutajakonto blokeeritakse.

 

Vanemad teated:

Vaata kõiki

Sellel veebilehel kasutatakse küpsiseid. Kasutamist jätkates nõustute küpsiste kasutamisega.

Sulge
 
Minu pakkumine

Reeglid

Pakkumise kirjelduse väli on mõeldud pakkumise detailsemaks lahti kirjutamiseks. Pikema teksti mugavaks sisestamiseks klikkige kasti paremal ülaservas oleval ikoonil.
Pakkumist tehes on keelatud postitada enda kontaktandmeid (nimi, telefon, aadress jne). Me jälgime ja analüüsime pakkumisi, et vältida pettuseid ja reeglite rikkumisi.
Rikkumise puhul kasutajakonto blokeeritakse.